66th Avenue NPA
Sacramento County Zoning Code
66th Avenue Neighborhood Preservation Area Ordinance
Section titled “Sacramento County Zoning Code 66th Avenue Neighborhood Preservation Area Ordinance”Adopted December 27, 1978
Amended March 12, 1986
NPA-78-5
Adopted by ZMA #3967 (1978 South Sacramento Consistency Rezone)
Amended by ZMA #4567 / 1985-RZ-CP-SD-UP-VA-1596 (Florin Park Place)
530-50. INTENT.
Section titled “530-50. INTENT.”It is the intent of the Board of Supervisors in adopting this Neighborhood Preservation Area Ordinance to provide for the continued and future uncovered storage commercial use of property adjacent to property described in Section 530-51, while at the same time protecting and preserving existing and planned low and medium density residential neighborhoods from adverse and incompatible impacts of said use. It is the further intent of the Board of Supervisors to provide the greatest protection possible to residential uses while recognizing the commercial use on abutting properties.
530-51. PROPERTY REGULATED.
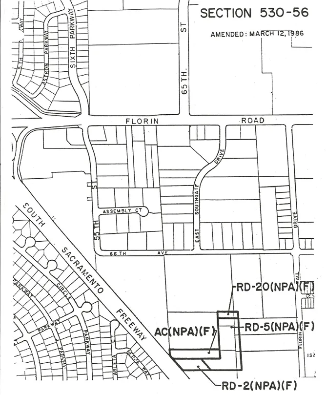
Section titled “530-51. PROPERTY REGULATED.”This Ordinance applies to and regulates land use and development of all real property in the unincorporated area of the County of Sacramento, as shown on Section 530-56 (as adopted by Ordinance No. SZC 86-27). Section 530-56 attached to this Ordinance is incorporated herein and made a part of this Ordinance for all purposes.
530-52. PERMITTED USES.
Section titled “530-52. PERMITTED USES.”Uses permitted in this Neighborhood Preservation Area shall include those permitted in the underlying residential land use zones, as described in Section 201-01 thru 201-04 of the Zoning Code of Sacramento County.
530-53. DEVELOPMENT PLAN REVIEW.
Section titled “530-53. DEVELOPMENT PLAN REVIEW.”No development shall take place on any property to which this Ordinance applies, as shown in Section 530-56, until final development plans have been approved by the Project Planning Commission as provided herein. The Planning Commission shall approve the development plan if the location and design of the proposed use mitigates potential adverse effects, consistent with development standards established in Section 530-54 below. The Planning Commission shall not approve development plans under provisions of this section unless it first finds that the proposed development will not create conditions that are adverse to the health or safety of the residential use on the property described above.
530-54. DEVELOPMENT STANDARDS.
Section titled “530-54. DEVELOPMENT STANDARDS.”a. Reference to Underlying Land Use Zone.
Section titled “a. Reference to Underlying Land Use Zone.”All lot requirements, building setbacks, parking requirements, signs regulations, or other regulations not specifically described herein shall conform to those regulations in the Zoning Code of Sacramento County for the particular underlying land use zone as specified in this NPA.
b. Height Regulations.
Section titled “b. Height Regulations.”No building or structure on property in this Neighborhood Preservation Area shall have a height greater than 40 feet.
c. Commercial Area Setback Adjacent to Residential Zone.
Section titled “c. Commercial Area Setback Adjacent to Residential Zone.”When adjacent to any residential or agricultural residential land use zone, the abutting yard shall be at least 75 feet in width, except for driveways and office uses which may be close as 25 feet. The common boundary between said residential or multifamily residential land use zone and commercial land use zone to which this Ordinance applies shall be demarcated by an eight (8) foot high solid barrier wall constructed of either wood or rock, brick, or other masonry material. Chain-link fence with slats shall not be permitted. The required 75-foot setback (25 feet for office uses) shall be fully landscaped and shall include a combination of trees and shrubs designed to screen industrial uses from the view of adjoining residential uses. The planter shall be provided with a permanent irrigation system. Trees capable of reaching a height of at least 30 feet at maturity shall be planted at least every 30 feet on center along the required barrier wall.
Residential Area Setback Adjacent to Commercial Zones.
Section titled “Residential Area Setback Adjacent to Commercial Zones.”When adjacent to any commercial land use zone, the abutting residential yards shall be at least 25 feet in width. The required 25-foot setback shall be fully landscaped, excluding driveways, and shall include a combination of trees and shrubs to screen the adjacent commercial uses from the view of residential uses. The planter area shall be provided with a permanent irrigation system. Trees capable of reaching a height of at least 30 feet at maturity shall be planted at least every 30 feet on center along the common property line with the adjacent commercial land use zones. This improvement shall only be required for new construction and/or tentative subdivision map approval.
d. Commercial Area Landscaping.
Section titled “d. Commercial Area Landscaping.”Excluding, driveways, all front yard and side street yard setbacks shall include a minimum four foot landscaped planter adjacent to the public and private street rights-of-way. The planter shall include live landscaping and a permanent irrigation system. At least one tree shall be provided per fifty (50) feet of frontage on public and private streets. All plantings shall be kept in healthy and growing condition. Irrigation systems shall be kept in working order.
e. Uncovered Storage in Commercial Area.
Section titled “e. Uncovered Storage in Commercial Area.”Uncovered storage shall be permitted within six (6) feet of a residential land use zone provided that stored materials will not be visible from adjoining residential areas or public and private streets. Development standards for uncovered storage shall include but not be limited to the following:
- Storage areas shall be enclosed by a minimum six (6) foot high solid wood fence or a rock, brick, or other masonry fence, excepting that storage areas which are located in an interior portion of the lot (i.e., not visible from the street) may be fenced with a chain-link fence. All required fences shall be maintained in a manner which provides the desired screening of stored materials.
- Stored material shall not be stacked in such a manner that it extends above the height of the required fence.
- Within the six foot side yard area, full landscaping as described in Section 530-54(d), above, shall be required.
f. Loading Areas.
Section titled “f. Loading Areas.”Loading areas shall be provided as required in Section 330-50 of the Sacramento County Zoning Code. Loading areas, including space necessary for maneuvering vehicles, shall not be located in the required 75-foot setback from abutting residential or multiple-family residential land use zones and shall not extend into required landscape areas. The Commission shall not approve a development plan which includes a loading area unless it finds that the location will not result in a significant noise impact on adjoining residential uses.
g. Lighting.
Section titled “g. Lighting.”No unshielded reflectors, spotlights, floodlights, or other sources of illumination shall be located and directed such that they shine toward or are directly visible from adjacent residential or agricultural-residential property.
h. Signs.
Section titled “h. Signs.”On-site signs shall be permitted as provided in Chapter 35 of the Sacramento County Zoning Code. Off-site signs shall be permitted as provided in Section 335-12 (Standards for Off-Site Signs) of the Sacramento County Zoning Code, except that no off-site sign shall be located such that it is visible from any adjoining residential or multiple-family residential land use zone.
530-55. FINDINGS.
Section titled “530-55. FINDINGS.”- Commercial and commercial planning development areas, and the adjoining residential neighborhoods subject to this NPA Ordinance, are unique in that the two uses are juxtaposed in manner which does not provide the necessary buffering between uses normally provided by a gradual transition of compatible land use zones. Regulations and standards contained herein will provide sufficient buffering to preserve and protect both residential and commercial uses.
- The area to which this NPA Ordinance applies encompasses and would affect an identifiable neighborhood in the South Sacramento Community Plan Area, as described in attached Section 530-56.
- The NPA Ordinance provides for a reasonable use of residential property located adjacent to commercial uses in a manner which will encourage its long-term individual use and, therefore, does not constitute undue hardship on property owners within the zone.
SECTION 530-56.
Section titled “SECTION 530-56.”