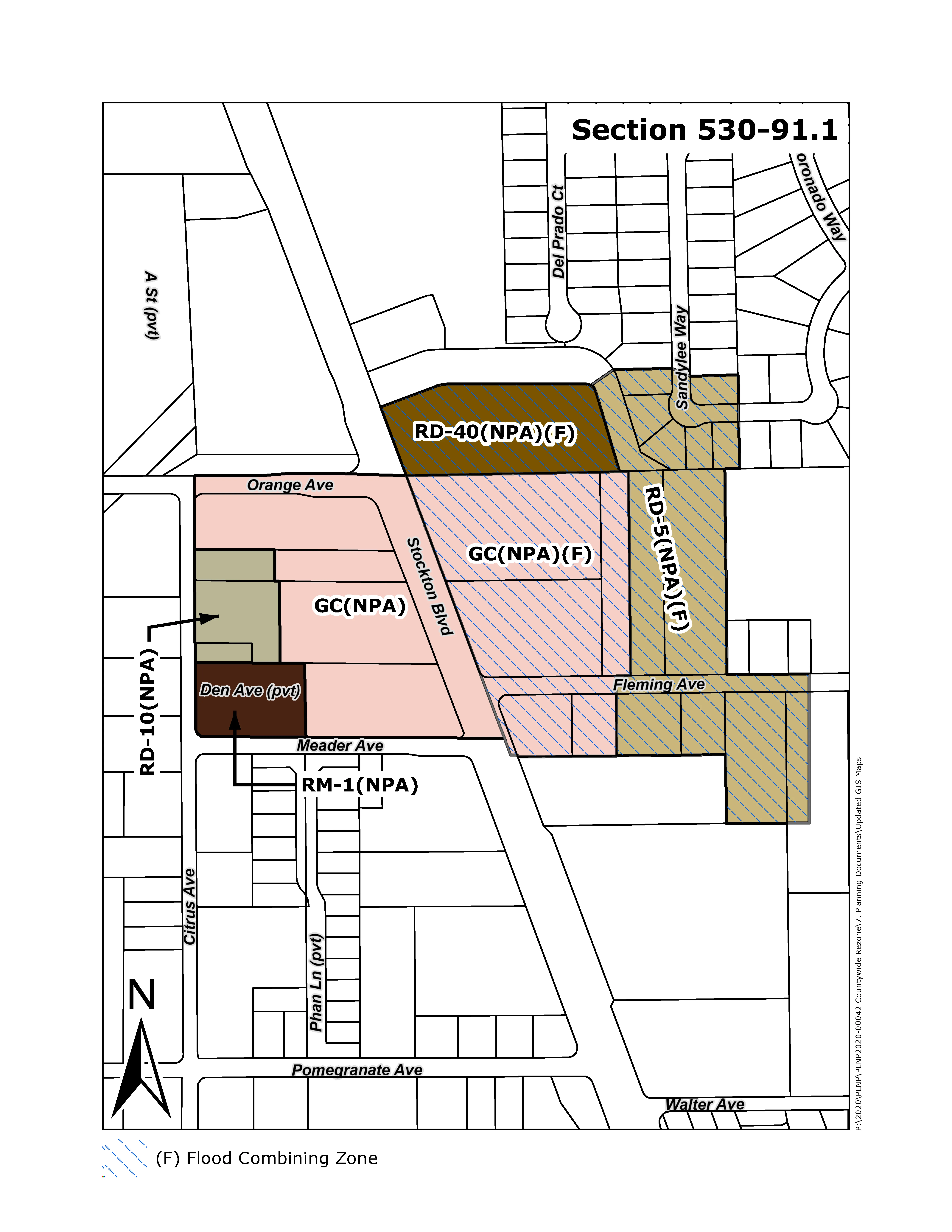
Stockton Boulevard NPA
Sacramento County Zoning Code
Stockton Boulevard Neighborhood Preservation Area Ordinance
Section titled “Sacramento County Zoning Code Stockton Boulevard Neighborhood Preservation Area Ordinance”Adopted December 27, 1978
Amended October 20, 2024
NPA-78-9
Adopted by ZMA #3967 (1978 South Sacramento Consistency Rezone) & PLNP2020-00042 (6th Cycle Housing Element Rezone Program)
530-90. INTENT.
Section titled “530-90. INTENT.”It is the intent of the Board of Supervisors in adopting this Neighborhood Preservation Area Ordinance (NPA) to provide for a suitable use of property described in Section 501-91, while at the same time protecting and preserving existing low and medium density residential neighborhoods on adjoining properties from adverse and incompatible existing and proposed heavy and light commercial uses.
The existing problem uses includes a lumber and hardware store, tool and equipment rental yard, fire station, storage areas, etc., that are abutting low density residential areas. The subject property is part of an identifiable neighborhood located on both sides of Stockton Boulevard at Fleming Avenue. By placing additional controls of development on these lands, there will not be undue hardship to the property owners. Additionally, the use of the subject property will not be unduly restricted.
530-91. EXHIBITS.
Section titled “530-91. EXHIBITS.”Section 530-91.1 attached to this Ordinance is incorporated herein and made a part of this Ordinance for all purposes.
530-92. PERMITTED USES.
Section titled “530-92. PERMITTED USES.”Uses permitted in this Neighborhood Preservation Area shall include those permitted in the underlying commercial and residential land use zones as described in Section 3.2.5. Table 3.1. “Allowed Uses” of the Zoning Code of Sacramento County.
530-93. DEVELOPMENT PLAN REVIEW:
Section titled “530-93. DEVELOPMENT PLAN REVIEW:”No development shall take place on any property to which this Ordinance applies until final development plans have been approved by the Project Planning Commission as provided herein. The Planning Commission shall approve the development plan if the location and design of the proposed use mitigates potential adverse effects to the greatest degree practicable consistent with development standards established, below. The Planning Commission shall not approve development plans under provisions of this section, unless it first finds that the proposed development will not create adverse noise, visual, air quality, health, or safety impacts on adjoining residential uses.
- Multifamily residential projects on parcels rezoned by the County to satisfy the Regional Housing Needs Assessment (RHNA) for lower-income households, as listed in Section 530-93(b), are exempt from the requirements of Section 530-93. Such projects must provide at least 20 percent of proposed housing units as affordable to lower-income households.
- The parcels rezoned by the County to satisfy the 2021-2029 Housing Element Cycle Regional Housing Needs Assessment (RHNA) for lower-income households are as follows:
- APN 051-0640-049
530-94. DEVELOPMENT STANDARDS.
Section titled “530-94. DEVELOPMENT STANDARDS.”a. Reference to Underlying Land Use Zone.
Section titled “a. Reference to Underlying Land Use Zone.”All lot requirements, building setbacks, parking requirements, sign regulations, or other regulations not specifically described herein shall conform to those regulations outlined in the Zoning Code of Sacramento County for the particular underlying land use zone.
b. Height Regulations.
Section titled “b. Height Regulations.”No building or structure on property in this Neighborhood Preservation Area shall have a height greater than 40 feet.
- This requirement shall not apply to those parcels listed in Section 530-93(b) if developed with a multifamily project that provides at least 20 percent of proposed housing units as affordable to lower income households. Height regulations applicable to the underlying land use zone shall apply.
c. Commercial Area Setback Adjacent to Residential Zone.
Section titled “c. Commercial Area Setback Adjacent to Residential Zone.”When adjacent to any residential or agricultural-residential land use zone, the abutting yard shall be at least 75 feet in width, except for office uses which may be as close as 25 feet. The common boundary betweensaid residential or agricultural-residential land use zone and the commercial land use zone to which this Ordinance applies shall be demarcated by an 8 foot high solid barrier wall constructed of wood, rock, brick, or other masonry material. Chain-link fence with slats shall not be permitted. The required 75-foot setback (25 feet for office uses) shall be fully landscaped and shall include a combination of trees and shrubs designed to screen industrial uses from the view of adjoining residential uses. The planter shall be provided with a permanent irrigation system. Trees capable of reaching a height of at least 30 feet at maturity shall be planted at least every 30 feet on-center along the required barrier wall.
d. Residential Area Setback Adjacent to Commercial Zones.
Section titled “d. Residential Area Setback Adjacent to Commercial Zones.”When adjacent to any commercial land use zone, the abutting yard shall be at least 25 feet in width. The required 25-foot setback shall be fully landscaped, excluding driveways, and shall include a combination of trees and shrubs to screen the adjacent commercial uses from the view of residential uses. The planter area shall be provided with a permanent irrigation system. Trees capable of reaching a height of at least 30 feet at maturity shall be planted at least every 30 feet on-center along the common property line with the adjacent commercial land use zones. This improvement shall only be required for new construction and/or tentative subdivision map approval.
- This requirement shall not apply to parcels listed in Section 530-93(b) if developed with a multifamily project that provides at least 20 percent of proposed housing units as affordable to lower income households. Setback regulations applicable to the underlying land use zone shall apply.
e. Commercial Area Landscaping.
Section titled “e. Commercial Area Landscaping.”Excluding driveways, all front yard and side street yard setbacks shall include a minimum 4 foot wide landscaping planter adjacent to the public and private street rights-of-way. The planter shall include live landscaping and a permanent irrigation system. At least one tree shall be provided per fifty (50) feet of frontage on public and private streets. All plantings shall be kept in a healthy and growing condition. Irrigation systems shall be kept in working order.
f. Uncovered Storage in Commercial Areas.
Section titled “f. Uncovered Storage in Commercial Areas.”Uncovered storage shall be permitted within six (6) feet of a residential land us zone, provided that stored materials will not be visible from adjoining residential areas or public and private streets. Development for uncovered storage shall include but not limited to the following:
- Storage areas shall be enclosed by a minimum six foot high solid wood, rock, brick, or other masonry fence, excepting that storage area boundaries which are located in an interior portion of the lot (i.e., not visible from the street) may be fenced with a chain-link fence. All required fences shall be maintained in a manner which provides the desired screening of stored materials.
- Stored materials shall not be stacked in such a manner that it extends above the height of the require fence.
- Within the six foot side yard area, full landscaping, as described above, shall be required.
g. Loading Areas.
Section titled “g. Loading Areas.”Loading areas shall be provided as required in Sections 3.9.3.W. “Loading Dock” and 5.9.10. “Truck Loading and Unloading Areas” of the Sacramento County Zoning Code. Loading areas, including space necessary for maneuvering vehicles, shall not be located in the required 75 foot setback from abutting residential or agricultural-residential land use zones and shall not extend into required landscape areas. The Commission shall not approve a development plan which includes a loading area unless it finds that the location will not result in a significant noise impact on adjoining residential uses.
h. Lighting.
Section titled “h. Lighting.”No unshielded reflectors, spotlights, floodlights, or other sources of illumination, shall be located and directed such that they shine toward or are directly visible from adjacent residential or agricultural-residential property.
i. Signs.
Section titled “i. Signs.”On-site shall be permitted as provided in Section 5.10. “Sign Regulations” of the Sacramento County Zoning Code. Off-site signs shall also be permitted as provided in Section 5.10. “Sign Regulations” of the Sacramento County Zoning Code, except that no off-site sign shall be located such that it is visable from any adjoining residential or agricultural-residential land use zone.
530-95. FINDINGS.
Section titled “530-95. FINDINGS.”- Residential neighborhoods and the adjoining heavy commercial areas subject to this NPA Ordinance are unique in that the two uses are juxtaposed in a manner which does not provide the necessary buffering between uses normally provided by gradual transition of compatible land use zones. Additionally, existing commercial uses are known to be in conflict with residential uses, notably the rental yard and lumber yard areas. Regulations and standards contained herein will provide sufficient buffering to preserve and protect both residential and commercial uses.
- The area to which this NPA Ordinance applies encompasses and would affect an identifiable neighborhood in the South Sacramento Community Plan area.
- The NPA Ordinance provides for a reasonable use of commercial property located adjacent to residential uses in a manner which will encourage its long-term individual use and, therefore, does not constitute undue hardship on property owners within the zone.
