Winding Way - Hackberry Lane SPA
Sacramento County Zoning Code
Winding Way - Hackberry Lane Special Planning Area Ordinance
Section titled “Sacramento County Zoning Code Winding Way - Hackberry Lane Special Planning Area Ordinance”Adopted October 4, 1978
78-SPA-19
Adopted by ZMA #3917 (1978 Carmichael Consistency Rezone)
501-190. INTENT.
Section titled “501-190. INTENT.”It is the intent of the Board of Supervisors in adopting this Special Planning Area Ordinance to allow development on the property described in Sections 501-198, 501-199A and 501-199B, which will protect and preserve the creeks and floodplains, provide for adequate circulation within the project site and adequate access to the major streets, and preserve the rolling topography within the area described in Section 501-198.
501-191. USES.
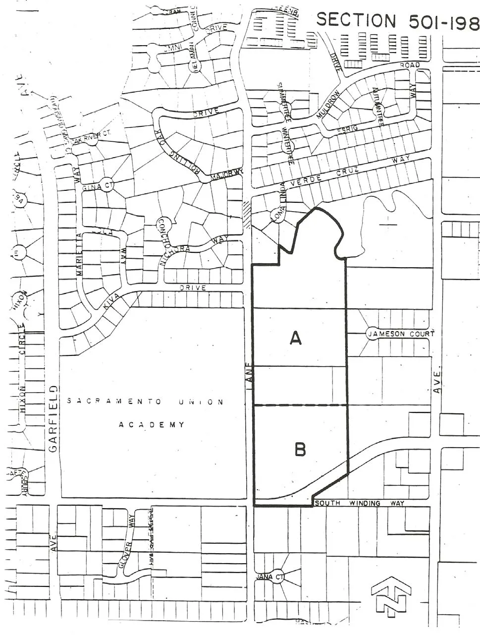
Section titled “501-191. USES.”Those uses listed in Table I of the Sacramento County Zoning Code, Section 201-02 as permitted in the RD-4 zoning district, shall be permitted within the property described in Section 501-199A, and shown as area “A” in Section 501-198, and those uses listed in said Table I as permitted in the RD-10 zoning district, shall be permitted within the property described in Section 501-199B; and shown as area “B” in Section 501-198, in both cases, subject to the following exceptions and conditions:
- Such uses shall be subject to the conditions specified in said Table and provided in Section 201-04 of the Zoning Code.
- The property described in Section 501-199A, and shown as area "A" in Section 501-198, shall not be utilized for any use other than single-family dwellings, unless development plans for such use have first been approved, pursuant to the provisions of Section 501-192 of this Ordinance.
- The property described in Section 501-199B, and shown as area "B" in Section 501-198, shall not be utilized for any use other than single-family, or two-family dwellings, unless development plans for such use have first been approved, pursuant to the provisions of this Ordinance.
- Those uses listed in Table I as commercial or institutional shall not be permitted, except for home occupation, public or private school K-12, government buildings and uses, public utility facilities, and other outdoor recreation facilities, which shall be permitted subject to the conditions shown and set forth in Section 201-04 of the Zoning Code.
501-192. DEVELOPMENT REVIEW.
Section titled “501-192. DEVELOPMENT REVIEW.”Prior to the issuance of a building permit for any building to be used for any use requiring development plan approval as specified in this Ordinance, a development plan shall be submitted for review and approval by the Project Planning Commission. The plan shall be in substantial conformance with the standards set forth in this Ordinance. The plan shall show the location of proposed improvements, trees to be retained and removed, parking, traffic circulation, grading plans, topographic map drawn with one foot contours for any portion of the proposed development located within the floodplain of a creek, floor plans, elevations and perspectives sufficient to illustrate the full design character of the project. Said review and approval shall not render the property undevelopable for the uses and densities authorized in this Ordinance.
501-193. STANDARDS.
Section titled “501-193. STANDARDS.”The location and configuration of buildings and other improvements shall comply with the development standards set forth in Title III of the Sacramento County Zoning Code, provided, however, that deviations from such standards may be permitted by the Project Planning Commission in approving development plans whenever necessary to reduce grading on the site, to avoid encroachment of the floodplains of creeks, or to preserve native trees.
b. Grading.
Section titled “b. Grading.”The design, layout, and configuration of the improvements shall minimize the extent and amount of grading. The following techniques shall be considered and utilized where feasible to accomplish the reduction in the extent and amount of grading:
- The use of split-level building design and foundation systems to accomplish elevation transitions as close to existing grades as possible.
- Grading for streets shall be reduced as much as possible, consistent with the minimum requirements for utility service, drainage requirements, and street design and improvement requirements.
- No grading, except as provided in Section 16.44.090 of the Sacramento County Code, shall be done on the property described in Sections 501-198, 501-199A and 501-199B until a grading permit is obtained from the Department of Public Works.
- No grading shall be permitted within the floodway of any stream.
The Department of Public Works shall not approve any grading plans or issue any grading permit, unless said plans are consistent with the site plans approved by the Project Planning Commission and with the policies as set forth in this section.
c. Trees.
Section titled “c. Trees.”The design, layout, and configuration of the improvements shall be accomplished so as to minimize the removal of trees. No native trees having a diameter of nine inches or more, measured four and one-half feet above the ground, shall be damaged or removed unless:
- The trees are located within the right-of-way of an approved street or approved building envelope.
- The trees are specifically approved for removal by the Planning Commission as part of the site plan approval.
- Such removal is necessary for elimination of diseased growth, for fire prevention and control, erosion and flood control, or as may be required for pedestrian, bicycle or equestrian paths and trails.
d. Natural Streams.
Section titled “d. Natural Streams.”All natural streams having well defined bed and banks, and draining a watershed of at least thirty (30) acres, shall remain and be maintained in their natural state except:
- For the removal and clearing of debris, growth, brush, or trees necessary for the maintenance of the free passage of storm and drainage waters, or for the prevention of flooding of buildings and other improvements.
- The construction of any improvements expressly approved by the Board of Supervisors, or where such improvements are found to be necessary for the prevention of erosion, the protection of public or private property, or for the preservation of the public health, safety, or welfare.
e. Coordination of Projects.
Section titled “e. Coordination of Projects.”The Project Planning Commission in reviewing and approving development plans shall consider the relationship of the circulation pattern of the proposed project with neighboring projects to ensure compatibility and coordination of projects with each other and with the community plan.
- Prior to approval of any final maps within area "A", the property owner shall submit a voluntary contribution of $1000.00 per residential lot, in one lump sum, for the construction of a traffic signal at Winding Way and Hackberry Lane.
501-194. DENSITY.
Section titled “501-194. DENSITY.”- The density of residential development of any portion of the property described in Section 501-199A, and shown as area "A" in Section 501-198, shall not exceed 3.25 dwelling units per acre and no more than 53 lots, with minimum lot width of 65 feet at the setback and a minimum lot size of 7,400 square feet.
- The density of residential development of any portion of the property described in Section 501-199B, and shown as area "B" in Section 501-198, shall not exceed ten (10) dwelling units per acre, except that density in excess of ten dwelling units per acre may be approved by the Project Planning Commission as part of development plan approval pursuant to the provisions of Section 501-193 of this Ordinance for a portion of a development where corresponding areas are dedicated for the preservation of open space, along natural streams, where there are significant groves of heritage or landmark trees, or in other environmentally sensitive areas.
501-195. SIGNS.
Section titled “501-195. SIGNS.”No signs shall be constructed upon the property, except as hereinafter provided:
- Temporary construction signs, political, religious and civic campaign signs, home occupation signs, and exempt signs shall be permitted as provided in Sections 335-02, 335-03, 335-05, and 335-08 of the Sacramento County Zoning Code, respectively.
- Real estate signs shall be permitted, subject to the standards set forth in Section 335-01 of the Sacramento County Zoning Code.
- On-site subdivision signs and on-site identification signs shall be permitted, subject to the requirements set forth in Section 335-04 and 335-11, respectively, of the Sacramento County Zoning Code, provided however, that such signs shall not exceed fifteen (15) square feet in area, twelve (12) feet in height. There shall be no more than one each of such signs for each project.
Off-site signs shall not be permitted within the property described in Sections 501-198 and 501-199A and 501-199B.
501-196. VIOLATIONS.
Section titled “501-196. VIOLATIONS.”Violation of the provisions of this Ordinance, or exhibits made part of this Ordinance, shall be deemed a violation of Sacramento County Zoning Code, Ordinance No. 83-10, as amended.
501-197. FINDINGS.
Section titled “501-197. FINDINGS.”During the public hearings on this Ordinance the Planning Commission and the Board of Supervisors found that:
- The area described in Sections 501-198, 501-199A and 501-199B contain a portion of Verde Cruz Creek and large groves of oaks and other trees worthy of preservation.
- These environmental features cannot be adequately protected through the adoption of any other land use zone and its related development standards.
- The size of this Special Planning Area is sufficient to allow construction of several residential projects of varying densities and styles and, thus, will not constitute the granting of a special privilege, nor deprivation, of property rights.
- The uses permitted by this Ordinance provide for a reasonable use of the land and will not cause undue hardship on property owners within the area described in Sections 501-198, 501-199A and 501-199B.
501-198.
Section titled “501-198.”