52nd Avenue NPA
Sacramento County Zoning Code
52nd Avenue Neighborhood Preservation Area Ordinance
Section titled “Sacramento County Zoning Code 52nd Avenue Neighborhood Preservation Area Ordinance”Adopted December 27, 1978
NPA-78-3
Adopted by ZMA #3967 (1978 South Sacramento Consistency Rezone)
530-30. INTENT.
Section titled “530-30. INTENT.”It is the intent of the Board of Supervisors in adopting this Neighborhood Preservation Area Ordinance to provide for the continued and future industrial use of property described in Section 3 above, while at the same time protecting and preserving existing residential uses abutting properties from adverse and incompatible impacts of said industrial uses. It is the further intent of the Board of Supervisors to provide the greatest protection possible to residential uses (Mobilehome Park located within the City of Sacramento), while recognizing the existing and potential industrial use of abutting properties. Section 530-35, attached to this Ordinance, is incorporated herein and made a part of this Ordinance for all purposes.
530-31. PERMITTED USES.
Section titled “530-31. PERMITTED USES.”Uses permitted in this Neighborhood Preservation Area shall include those permitted in the underlying industrial land use code as described in Section 230-10 through 230-13 of the Zoning Code of Sacramento County.
530-32. DEVELOPMENT PLAN REVIEW.
Section titled “530-32. DEVELOPMENT PLAN REVIEW.”No development shall take place on any property to which this Ordinance applies until final development plans have been approved by the Project Planning Commission as provided herein. The Planning Commission shall approve the development plan if the location and design of the proposed use mitigates potential adverse effect, consistent with development standards, below. The Planning Commission shall not approve development plans under provisions of this section unless it first finds that the proposed development will not create adverse noise, visual, air quality, health, or safety impacts on adjoining residentially zoned uses.
530-33. DEVELOPMENT STANDARDS.
Section titled “530-33. DEVELOPMENT STANDARDS.”(a) Reference to Underlying Land Use Zone.
Section titled “(a) Reference to Underlying Land Use Zone.”All lot requirements, building setbacks, parking requirements, sign regulations, or other regulations not specifically described herein, shall conform to those regulations in the Zoning Code of Sacramento County for the particular underlying land use zone.
(b) Height Regulations.
Section titled “(b) Height Regulations.”No building or structure on property in this Neighborhood Preservation Area shall have a height greater than 40 feet.
(c) Setback Adjacent to Residential Zone.
Section titled “(c) Setback Adjacent to Residential Zone.”When adjacent to any residential land use zone (City or Unincorporated area), the abutting yard shall be at least 75 feet. The common boundary between said residential land use zone and the industrial land use zone to which this Ordinance applies shall be demarcated by an 8 foot high solid barrier wall constructed of wood, rock, brick, or other masonry material. Chain-link fence with slats shall not be permitted. If the elevations of the residential and industrial properties are different, the Commission may require a higher wall during development plan review. The required 75-foot setback (25 feet for office uses) shall be fully landscaped and shall include a combination of trees and shrubs designed to screen industrial used from the view of adjoining residential uses. The planter shall be provided with a permanent irrigation system. Trees capable of reaching a height of at least 30 feet at maturity shall be planted at least every 30 feet within seven feet of the required barrier wall.
(d) Landscaping.
Section titled “(d) Landscaping.”Excluding driveways, all front yard and side street yard setbacks included within this Neighborhood Preservation Area shall include a minimum four foot wide landscaping planter adjacent to the public and private street rights-of-way. The planter shall include live landscaping and a permanent irrigation system. At least one tree shall be provided per fifty (50) feet of frontage on public and private streets. All plantings shall be kept in a healthy and growing condition. Irrigation systems shall be kept in working order.
(e) Uncovered Storage.
Section titled “(e) Uncovered Storage.”Uncovered storage shall be permitted in the buildable portion of the lot, provided that stored materials will not be visible from adjoining residential areas or public and private streets. Development standards for uncovered storage shall include, but not be limited, to the following:
- Storage areas shall be enclosed by a minimum six foot high solid wood, rock, brick, or other masonry fence, excepting that storage areas which are located in an interior portion of the lot (i.e., not visible from the street) may be fenced with a chain-link fence. All required fences shall be maintained in a manner which provides the desired screening of stored materials.
- Stored material shall not be stacked in such a manner that it extends above the height of the required fence.
(f) Loading Areas.
Section titled “(f) Loading Areas.”Loading areas shall be provided as required in Section 330-120 of the Sacramento County Zoning Code. Loading areas, including space necessary for maneuvering vehicles, shall not be located in the required 75-foot setback from abutting residential land use zones and shall not extend into required landscape areas. The Commission shall not approve a development plan which includes a loading area, unless it finds that the location will not result in a significant noise impact on adjoining residential uses.
(g) Lighting.
Section titled “(g) Lighting.”No unshielded reflectors, spotlights, floodlights, or other sources of illumination shall be located and directed such that they shine toward or are directly visible from adjacent residential property.
(h) Signs.
Section titled “(h) Signs.”On-site signs shall be permitted as provided in Section 335-20 (Signs in Industrial Zones) of the Sacramento County Zoning Code. Off-site signs shall be permitted as provided in Section 335-12 (Standards for Off-site Signs) of the Sacramento County Zoning Code, except that no off-site sign shall be located such that it is visable from any adjoining residential land use zone.
530-34. FINDINGS.
Section titled “530-34. FINDINGS.”- Residential neighborhoods and the adjoining industrial areas subject to this NPA Ordinance are unique in that the two uses are juxtaposed in a manner which does not provide the necessary buffering between uses normally provided for by gradual transition of compatible land use zones. The existing residential use is a mobilehome park, and the potential for noise and visual conflicts between these uses is very high. Regulations and standards contained herein will provide sufficient buffering to preserve and protect both residential and industrial uses.
- The area to which this NPA Ordinance applies encompasses and would affect an existing identifiable neighborhood (Mobilehome Park located in the City limits of Sacramento) in the South Sacramento Community Plan area.
- The NPA Ordinance provides for a reasonable use of industrial property located adjacent to residential uses in a manner which will encourage its long-term individual use and, therefore, does not constitute undue hardship on property owners within the zone.
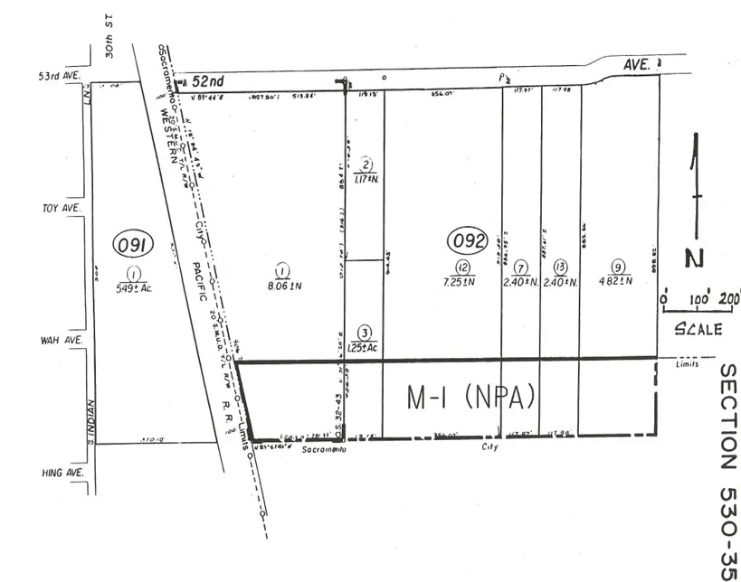
530-35. MAP OF 52ND AVENUE NPA.
Section titled “530-35. MAP OF 52ND AVENUE NPA.”