East Antelope SP (Ordinance)
Sacramento County Zoning Code
East Antelope Specific Plan Ordinance
Section titled “Sacramento County Zoning Code East Antelope Specific Plan Ordinance”601-10.1. INTENT.
Section titled “601-10.1. INTENT.”It is the intent of the Board of Supervisors in adopting this specific plan to allow development of the East Antelope area in a manner consistent with the Sacramento County General Plan and with the existing Antelope Community.
Land uses include Urban-Residential development in the Northern and Western Subareas, Agricultural-Residential (AR-1) uses and Commercial Uses (LC and GC) within the Central Subarea, and Industrial (M-2) uses within the Eastern Subarea.
601-11. APPLICABILITY.
Section titled “601-11. APPLICABILITY.”The provisions of this Article shall apply to the land area shown in Section 601-18.1. To the extent that any of the provisions of this Article conflict with other provisions of the Zoning Code, the provisions of this Article shall prevail.
601-11. DEFINITIONS.
Section titled “601-11. DEFINITIONS.”The provisions of this Article shall apply to the land area shown in Section 601-18.1. To the extent that any of the provisions of this Article conflict with other provisions of the Zoning Code, the provisions of this Article shall prevail.
-
East Antelope Specific Plan text: That document adopted by Resolution 95-0839 by the Sacramento County Board of Supervisors.
-
Northern Subarea: A portion of the East Antelope Specific Plan area, depicted in Section 601-18.2.
-
Western Subarea: A portion of the East Antelope Specific Plan area, depicted in Section 601-18.2.
-
Eastern Subarea: A portion of the East Antelope Specific Plan area, depicted in Section 601-18.2.
-
Central Subarea: A portion of the East Antelope Specific Plan area, depicted in Section 601-18.2.
-
Antelope Public Facilities Financing District: That financing plan as defined in the Antelope Development Fee Ordinance as set forth in Sacramento County Code Chapter 16.80.
601-13. REVIEW AUTHORITY.
Section titled “601-13. REVIEW AUTHORITY.”The Director of the Planning and Community Development Department shall be the appropriate authority to review individual development projects proposed within the boundaries of the East Antelope Specific Plan, as depicted in Section 601-18.1, to determine consistency with the provisions of the East Antelope Specific Plan. The Project Planning Commission shall be the appropriate authority to hear and decide those individual development projects that the Planning Director has determined to be consistent with the provisions of the East Antelope Specific Plan. Those individual development projects that the Planning Director determines to be inconsistent with the provisions of the East Antelope Specific Plan shall constitute amendments to the East Antelope Specific Plan. The Board of Supervisors shall be the appropriate authority to hear and decide amendments to the East Antelope Specific Plan, following a recommendation by the Policy Planning Commission.
601-14. PERMITTED USES.
Section titled “601-14. PERMITTED USES.”The development within the East Antelope Specific Plan area is categorized into four use areas as follows: Urban-Residential, Agricultural-Residential, Commercial and Industrial. The boundaries for each category are depicted in Section 601-18.3.
- Urban Residential Use Areas: Permitted uses within the Urban Residential Use Areas, as shown in Section 601-18.3 are those permitted in the RD-1, RD-2, RD-3, RD-4, RD-5 and RD-7 zones as listed in Zoning Code Section 201-02 and subject to corresponding special conditions referenced in Zoning Code Section 201-04. Development within these areas must be consistent with the Development Regulations listed in Section 601-15 and the Design Guidelines listed in Section 601-16.
- Agricultural-Residential Use Areas: Permitted uses within the AgriculturalResidential Use Area, as shown in Section 601-18.3, are those permitted in the AR-l land use zone as listed in Zoning Code Section 201-02 and subject to corresponding special conditions referenced in Section 201-04. Development within this area must be consistent with the Development Regulations listed in Section 601-15.
- Industrial Use Areas: Permitted uses within the Industrial Use Area, as shown in Section 601-18.3, are those permitted in the M-2 land use zone as listed in Zoning Code Section 230-11 and subject to corresponding special conditions referenced in Zoning Code Section 230-13. Development within this area must be consistent with the Development Regulations listed in Section 601-15.
- Commercial Use Areas: Permitted uses within the Commercial Use Area, as shown in Section 601-18.3, are those permitted in the LC and GC land use zones, as listed in Zoning Code Section 225-11 and subject to corresponding special conditions referenced in Zoning Code Section 225-14. Development within this area must be consistent with the Development Regulations listed in Section 601-15.
601-15. DEVELOPMENT REGULATIONS.
Section titled “601-15. DEVELOPMENT REGULATIONS.”The following development regulations shall apply within the East Antelope Specific Plan boundaries. In the case where the development regulations do not provide direction regarding a specific use or standard, Title III of the County Zoning Code shall apply.
A. Urban-Residential Development.
Section titled “A. Urban-Residential Development.”The following applies to development within the Urban-Residential land use areas shown in Section 601-18.3.
-
Development requirements such as lot area, lot dimensions and setbacks are shown in Section 601-18.4 Individual development projects with proposed nonstandard yard setbacks (i.e. zero lot line, zipper lots) may be approved by the County Planning Commission at the time a tentative map is considered, provided that:
- The overall density of the project is consistent with the previsions of Section 601-15-(A) 2,3 and 4;
- The potential for visual intrusion and noise impacts upon neighboring properties are addressed through building/site design; and
- The design demonstrates that the objectives of the General Plan and Specific Plan are met.
-
Average densities within single-family residential developments shall not exceed 5.5 dwelling units per acre (du/ac). Average density is defined as the average gross density of individual development projects within each Subarea. The maximum allowable number of dwelling units for the single-family development within each Subarea is shown in Section 601-15.5.
-
Individual development project may not exceed 5.5 du/ac overall, unless accompanied by another development application with a lower average density, such that the two projects average 5.5 du/ac. In this case, both development applications must be processed concurrently and a density cap shall be placed on the rezone agreement of both projects.
Portions of an individual development project may exceed 5.5 du/ac up to a maximum of 7.0 du/ac provided that lower density areas are included to meet the required average density. Minimum density of individual development projects shall be 4.1 du/ac, or 75% of maximum.
-
If the maximum allowable units within a Subarea, as shown in Section 60118.2, is not reached with individual development applications at the time of full build-out in that Subarea, then the remaining allowable units may be transferred to the other single-family residential Subarea, up to 10% of the maximum allowable units of the original Subarea.
-
Corner halfplexes shall be allowed with Urban-Residential areas without limitation and without the need for a Conditional Use Permit application.
-
The following items shall be allowed as ‘encroachments into yard areas’ provided that they do not reduce the required yard area by more than 24 inches: (a) bay windows with foundations, and (b) fireplaces with adjacent wood box and entertainment center pop-outs.
-
Maximum soundwall height of 8.0 feet is allowed along short portions of the landscape corridor along Antelope North Road where significant site constraints and grading design justify a higher soundwall; otherwise, maximum soundwall height of 6.0 feet shall be used. If an 8.0 foot wall is justified, additional tree planting and screening materials shall be included in the development plans for the project.
-
Rezone and development approval is permitting construction of new homes within the Northern Subarea shall include a condition to require recordation of notice regarding the existence of industrial uses and M-2 zoning on the east side of Antelope North Road and the potential hazards associated with the operations of the Southern Pacific railroad yard, located southeast of the site.
-
Separated sidewalks and landscape corridors shall be incorporated into multilane arterial streets (i.e. 84-foot streets) where adjacent to single-family residential land use. Walks must be separated by a minimum of 4.0 feet from the back of curb. Joined curb/gutter/sidewalk shall be constructed at street intersections and bus stops.
-
Construction of circulation breaks along Cook Riolo Road and Poker Lane shall be phased with Urban-Residential development in the Northern and Western Subareas, respectively.
-
Any subdivision development within the Western Subarea shall require the extension of Poker Lane to Don Julio Boulevard to ensure adequate circulation within the Western Subarea.
-
Partial streets adjacent to school, park or drainage facilities shall be developed concurrently with construction of the adjacent subdivision. The cost of partial street improvements adjacent to schools and parks beyond the centerline shall be reimbursable as defined in the Antelope Public Facilities Financing Plan or other financing mechanism.
-
Thirty-foot, half-street sections shall be required adjacent to schools and parks except for minor park street frontages which may be constructed with a 22-foot, half-street section (6-foot sidewalk). Minor park street frontages include 40-foot residential streets with short frontage length and serve small mini-parks or ‘tot-lots’.
-
Master infrastructure facilities necessary to meet immediate needs shall be developed prior to, or concurrently with, individual development projects as identified in the Antelope Public Facilities Financing Plan or other financing mechanism.
-
Land use entitlements granted for future projects within the eastern drainage shed shall be conditioned to pay a fair share contribution for basin specific drainage mitigation in Placer County and urban stormwater quality facilities. Such fair share contributions may be replaced by the future update of County Zone 11 drainage fees for this area. Such future land use entitlements shall also be conditioned to pay the drainage fee as identified in the Placer County Dry Creek Watershed Flood Control Plan and adopted by the Sacramento County Board of Supervisors. Projects within the western drainage shed which are within the existing Antelope Drainage Basin A shall pay Antelope Drainage Basin A fees as defined in the Antelope Public Facilities Financing Plan.
-
Individual development projects in the Northern and Western Subareas shall extend Northridge Water District facilities sufficient to provide adequate water service in accordance with the Water Distribution Plan contained within the Specific Plan.
-
No final map shall be recorded within the area described in Section 601-18.1 until either a revised and approved Antelope Public Facilities Financing Plan has been implemented which includes the area of the subject map or a separate approved public facilities financing plan for the East Antelope Specific Plan area has been implemented by the Sacramento County Board of Supervisors.
-
Individual development projects which include oak trees 6-inch dbh or larger shall comply with the following measures:
- An arborist report shall be prepared for each individual development and included in the project application. The report shall include a description of oak tree condition and the arborist's recommendations.
- Following review of the individual development application by the County Planning and Community Development Department, requirements shall be placed on the project which require oak tree preservation and include appropriate protection measures or allow tree removal with mitigation. Oak tree removal required because of poor health or the construction of arterial roadways shall not require mitigation.
- Improvement plans for individual development projects shall implement measures to preserve oak trees. Final maps may include easements or other restrictions to ensure the preservation of oak trees.
- If building permits are filed for lots with preserved oak trees and required mitigation measures are implemented through construction of the subdivision lots, then building permits shall be reviewed by the County Planning and Community Development Department as part of the plan check process for compliance with oak tree preservation conditions.
-
Oak trees to be retained within the Specific Plan area shall be preserved and protected using the following methods:
- A circle with a radius measurement from the trunk of the tree to the tip of the longest limb shall constitute the dripline protection area of each tree and must be cut back in order to change the dripline. The area beneath the dripline is a critical portion of the root zone and defines the minimum protected area of each tree. Removing limbs which make up the dripline does not change the protected zones.
- All oak trees and other trees on the site that require pruning shall be pruned prior to grading the site. Oak trees which will require major pruning (branches larger than 2-inches in diameter) shall be trimmed by a certified arborist or other professional tree expert.
- Chain link fencing or a similar protective barrier shall be installed 1.0 foot outside the driplines of the oak trees prior to initiating project construction to avoid damage to the trees and their root systems. No construction activities shall be allowed within the fences ares.
- No signs, ropes, cables or any other item shall be attached to the oak trees.
- No vehicles, construction equipment, mobile home/office, supplies, materials or facilities shall be driven, parked, stockpiled, or located within the driplines of oak trees.
- No grading whatsoever shall be allowed within the driplines of oak trees.
- No trenching shall be allowed within the driplines of oak trees. If it is absolutely necessary to install underground utilities within the dripline of an oak tree, the utility line shall be either bored or drilled under the supervision of a certified arborist or other professional tree expert acceptable to the Environmental Coordinator.
- Impervious surfaces shall not be allowed within the driplines of oaks.
- Landscaping beneath oak trees may include non-plant materials, such as boulders, cobbles, wood chips, etc. The only plant species which shall be planted within the driplines of oak trees are those which are tolerant of the natural semi-arid environs of the trees. Limited drip irrigation, approximately twice per summer for understory planting, is the only irrigation allowed within oak tree driplines.
- No sprinkler system shall be installed such that it irrigates the ground within the driplines of oak trees.
B. Agricultural-Residential Development Regulations.
Section titled “B. Agricultural-Residential Development Regulations.”The following applies to development within the Agricultural-Residential land use area shown in Section 601-18.3.
- Prior to the issuance of building permits, final development plans shall be reviewed by the County Planning Department during the plan check process to ensure compliance with all ordinance requirements and the following:
- A 200-foot setback from the centerline of Antelope North Road is required for any new agricultural-residential primary outdoor activity area (such as porches, patios, swimming pools, etc.).
- All new residential structures built in the Central Subarea within 200 ± feet of the centerline of Antelope North Road shall be designed and constructed to achieve an interior noise level of 45 dB Ldn or less by utilizing the following measures:
- All exterior windows and sliding glass doors shall be doublepaned, with a minimum STC rating of 25 and shall be weatherstripped or mounted in low infiltration design frames meeting ANSI air infiltration standards.
- Air conditioning or other suitable means of ventilation shall be provided to allow occupants to close doors and windows for the required acoustical isolation.
- Exterior doors shall be solid-core and the door perimeters shall be weatherstripped.
- Construction techniques must be consistent with the following minimum building practices:
- All exterior walls are to be grouted or caulked airtight at exposed exterior joints.
- Penetrations of exterior walls by pipes, ducts, conduits and the like are to be caulked or filled with mortar.
- Roof sheeting panels are to be butted as tightly together as is practical.
- Gravity vent openings shall not exceed code minimum for number or size.
- Where suspended ceiling is used for noise-sensitive interior spaces, the ceiling tile shall be made of mineral fiber such as gypsum. Fiberglass tiles may be used as a suspended ceiling only below a solid gypsum board ceiling.
- Any departure or deviation from the above measures must be substantiated by an acoustical analysis which is prepared by a professional acoustical consultant and is submitted to and approved by the County Environmental Coordinator.
- AR-2 development in the Central Subarea may continue to utilize individual septic systems. Public sewer service shall be required for AR-1 development and service shall be extended by individual development projects and/or property owners in the Central Subarea. Any future urban land uses in the Central Subarea will require the extension of public sewer facilities.
C. Industrial Development Regulations.
Section titled “C. Industrial Development Regulations.”The following applies to development within the Industrial land use area shown in Section 601-18.3.
-
Proposed future industrial uses allowed by right in the M-2 land use zone shall be subject to review by the Planning Director prior to the issuance of any building permits. If the Director finds that the proposed use may result in potential odors, fumes, dust, noise, vibrations, or other such emissions which constitute a potential health hazard or nuisance to adjacent or surrounding properties, the proposed use shall be subject to the issuance of a Conditional Use Permit by the Project Planning Commission.
-
Any proposed future industrial uses in the M-2 land use zone which are subject to insurance of a Conditional Use Permit by the Zoning Administrator pursuant to Section 230-13 of the Zoning Code shall instead be subject to issuance of a Conditional Use Permit by the Project Planning Commission.
-
Existing industrial uses operating pursuant to and in compliance with valid use permits or other entitlements prior to the effective date of this Ordinance, shall not, for the purposes of this Subsection, constitute a ‘future industrial use’ when applying for a use permit or other entitlement to continue current existing uses. Existing industrial uses seeking to expand or change the current use through the subsequent application for a use permit or other entitlement shall be subject to the development regulations for future industrial uses as set forth in this Section and Title III of the Sacramento County Zoning Code.
-
Sewer service to the industrial uses within the Eastern Subarea may utilize individual septic systems, subject to approval by the County Environmental Management Department, if appropriate for the proposed use. If public sewer service is necessary, development shall connect to and expand the lift station and force mains described in the sewer master plan prepared for the East Antelope Specific Plan.
601-16. DESIGN GUIDELINES.
Section titled “601-16. DESIGN GUIDELINES.”Development within the Urban Residential land use category and circulation elements within the Specific Plan area shall incorporate the following criteria into project design.
A. Urban-Residential Land Use Design Guidelines.
Section titled “A. Urban-Residential Land Use Design Guidelines.”The following applies to the Urban-Residential land use area as shown in Section 601-18.3
-
Buffering of adjacent agricultural-residential land uses shall utilize designs consistent with the concepts shown in Section 601-18.6. Design features include RD-2 sized lots, internally focused circulation, location at the end of cul-de-sacs if feasible, back-up house orientation, and setbacks as described in Section 601-15.
-
Buffering of industrial/commercial uses across Antelope North Road shall include a 30-foot landscape corridor along the west side of Antelope North Road. An 8-foot sound barrier (combination wall and berm) shall be located at the rear of the landscape corridor, as shown in Section 601-18.7. The landscape corridor and sound barrier shall be maintained by a Landscape and Lighting Assessment District.
-
Landscape corridors along Antelope North Road shall include the following features and incorporate standards described in Section 301-61 of the Sacramento County Zoning Code, except where noted below:
- Provide separated sidewalk within the landscape corridor where feasible, except near street intersections.
- All perimeter masonry walls shall be finished with a graffiti resistant coating or be constructed with and anti-graffiti design. This measure shall be coordinated with the long-term maintenance entity for landscape corridors.
- Additional road right-of-way for intersection widening and bus turnouts may encroach into the required landscape corridor area.
- Wall transitions at intersections may be designed to provide a landscaped project entry. Entry islands may be included consistent with County Transportation Division requirements.
-
The following lot and architectural design details shall apply:
- Lot and house designs shall emphasize the living space with front popouts, porches, or wide building-to-street orientation.
- Lots with a side yard/rear yard configuration are discouraged. Where this configuration is necessary because of lotting pattern design, the side-on lot shall incorporate a 10-foot minimum side yard or be limited to a one-story residence. (Note: A split-story house can orient the one-story portion to meet the above requirement.)
- Garages shall be recessed into the building architecture where lot design permits. Side-on garages with swing driveways are encouraged.
- House designs with side entry and limited visibility toward the street are discouraged.
-
Design of circulation breaks shall be consistent with features shown in Section 601-18.8 and 601-18.9. Features include the following:
- Twelve-foot asphalt path, or equivalent, with circulation breaks.
- Vertical curb at right-of-way or asphalt dike at entrances to circulation breaks.
- Low post bollards (6" X 6", 6-foo1 on center. min.) along right-of-way on each side of path (no barricade to path).
- Streetlights at rights-of-way and additional streetlighting, if necessary, to the satisfaction of the Sheriffs Department (1.5 foo1candles minimum maintained along footpath).
- No parking and no access signage and curb paint at each path connection to right-of-way.
- Provide an identified maintenance entity for lighting and maintenance, road and fence repair, clean-up including vandalism and waste debris, and enforcement of parking laws.
- Fifty-foot Irrevocable Offers of Dedication for potential future vehicular access.
- Provide adequate access to adjacent, existing developed properties along the circulation breaks.
-
Internal circulation within the Urban-Residential areas shall incorporate the following design measures:
- Street layouts shall conform to topography, drainage, and vegetation to the extent feasible.
- Street layouts shall provide multiple access routes.
- Access points along multi-lane arterial streets shall be restricted to locations approved by the County Transportation Division.
- Internal street layouts shall provide access to public facilities, including school, parks and open space areas.
- Internal streets adjacent to public facilities shall include the following design:
- School sites shall include a minimum 30-foot half-streets fronting on at least two sides where feasible.
- Park sites shall include street frontage on two sides where feasible, sufficient to provide adequate access from multiple directions.
- Circulation adjacent to drainage facilities shall include open culde-sacs, single-loaded linear streets, loop streets, or any combination on at least one side of the drainage facility.
-
Subdivision designs shall extend existing, adjacent road stubs into the subdivision, such as Pearlstone Drive and Palmerson Drive, to ensure adequate circulation between urban areas.
-
Subdivision maps with primary residential or collector streets with anticipated traffic volumes higher than normal, as determined by the County Transportation Division, shall include special design treatments to minimize potential nuisance problems with adjacent residential lots. Examples include side-on lots, separated sidewalks or special driveway designs.
601-17. AMENDMENTS TO THE SPECIFIC PLAN.
Section titled “601-17. AMENDMENTS TO THE SPECIFIC PLAN.”Amendments to the Specific Plan include, but are not limited to, changes to land use designations on the land use map, changes to policies, development regulations, design criteria or as determined by the Planning Director pursuant to Section 601-13. Applications for amendment to the Specific Plan shall be made to the County Planning and Community Development Department. Applications made for amendments shall be subject to environmental review by the Department of Environmental Review and Assessment. All applications for amendment to the Specific Plan shall be subject to review by the County Planning and Community Development Department to determine if additional entitlement requests, including a General Plan amendment, will be required to accompany the amendment application.
601-18. EXHIBITS.
Section titled “601-18. EXHIBITS.”Sections 601-18.1 through 601-18.9 regulate the property described in Section 601-11 and are attached hereto and by this reference incorporated into the East Antelope Specific Plan.
Table 1: Specific Plan Exhibits Attached to the East Antelope Specific Plan
Section titled “Table 1: Specific Plan Exhibits Attached to the East Antelope Specific Plan”| Specific Plan Section | Name of Exhibit |
|---|---|
| Section 601-18.1 | East Antelope Specific Plan Project Area |
| Section 601-18.2 | East Antelope Specific Planning Subareas |
| Section 601-18.3 | East Antelope Specific Plan Land Use Plan |
| Section 601-18.4 | Site Development Standards |
| Section 601-18.5 | Land Use Analysis |
| Section 601-18.6 | Buffer Area Design Criteria |
| Section 601-18.7 | Conceptual Landscape Corridor - North Antelope Road |
| Section 601-18.8 | Circulation Break “A” Design |
| Section 601-18.9 | Circulation Break “B” Design |
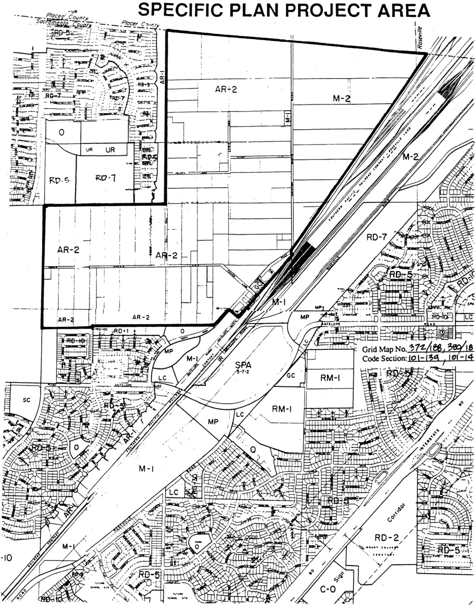
EXHIBIT SECTION 601-18.1
Section titled “EXHIBIT SECTION 601-18.1”
EXHIBIT SECTION 601-18.2
Section titled “EXHIBIT SECTION 601-18.2”
EXHIBIT SECTION 601-18.3
Section titled “EXHIBIT SECTION 601-18.3”
EXHIBIT SECTION 601-18.4 - TABLE 1: SITE DEVELOPMENT STANDARDS
Section titled “EXHIBIT SECTION 601-18.4 - TABLE 1: SITE DEVELOPMENT STANDARDS”The formatting of this table has been modified to comply with accessibility requirements.
| Standard | RD-2 | RD-3 | RD-4 | RD-5 | RD-7 |
|---|---|---|---|---|---|
| Density (1) | 2 du/ac gr. | 3 du/ac gr. | 4 du/ac gr. | 5 du/ac gr. | 7 du/ac gr. |
| Lot Area | 18,000 sq. ft. | 10,000 sq. ft. | 8,500 sq. ft. | 5,000 sq. ft. | 4,000 sq. ft. |
| Corner Lot Area | 18,000 sq. ft. | 10,000 sq. ft. | 8,500 sq. ft. | 6,000 sq. ft. | 4,800 sq. ft. |
| PUE Width adj. to Right-of-Way | 12.5’ | 12.5’ | 12.5’ | 10’ | 10’ |
Lot Dimensions
Section titled “Lot Dimensions”| Standard | RD-2 | RD-3 | RD-4 | RD-5 | RD-7 |
|---|---|---|---|---|---|
| Width at setback | 60’ | 60’ | 60’ | 50’ | 40’ |
| Corner width | 75’ | 65’ | 65’ | 60’ | 50’ |
| Frontage at property line | CR (2) | CR (2) | CR (2) | 35’ | 30’ |
| Minimum depth | 120’ | 100’ | 100’ | 85’ | 60’ |
Minimum Setbacks
Section titled “Minimum Setbacks”| Standard | RD-2 | RD-3 | RD-4 | RD-5 | RD-7 |
|---|---|---|---|---|---|
| - Front to Living Area | N/A (3) | N/A (3) | N/A (3) | 15’ | 15’ |
| - Front to Porch (4) | N/A | N/A | N/A | 10’ | 10’ |
| - Front to Garage | N/A | N/A | N/A | 19’ w/roll up | 19’ w/roll up |
| - Side (total bldg. separation) | CR | CR | CR | 10’ | 10’ |
| - Corner side | 12.5’ | 12.5’ | 12.5’ | 10’ | 10’ |
| - Separate garage | N/A | N/A | N/A | 0’ side & rear | 0’ side & rear |
| - Buffer setbacks to residential bldg. | 50’ | 50’ | 50’ | N/A | N/A |
| - Buffer setbacks to accessory bldg. | 20’ | 20’ | 20’ | N/A | N/A |
Corner Halfplex
Section titled “Corner Halfplex”| Standard | RD-5 | RD-7 |
|---|---|---|
| area-corner | 4,000 sq. ft. | 4,000 sq. ft. |
| area-interior | 3,000 sq. ft. | 3,000 sq. ft. |
| width-corner | 40’ | 40’ |
| width-interior | 30’ | 30’ |
| lot depth | 85’ | 60’ |
Table Footnotes (1) Calculated as gross density including major roads and landscape areas. (2) Countywide Regulation Applies (3) N/A = Not allowed, or, no provision in County Zoning Code (4) Minimum vehicular visibility requirements must be met.
EXHIBIT SECTION 601-18.5 - TABLE 2: LAND USE ANALYSIS
Section titled “EXHIBIT SECTION 601-18.5 - TABLE 2: LAND USE ANALYSIS”This table has been split into multiple tables to comply with accessibility requirements.
| Northern Subarea Land Use | Acres | Units |
|---|---|---|
| Urban Residential 5.5 du/ac average* | 127.7± | 702 |
| Buffer Area*** | (12.2±) | |
| Park | 6.3± | |
| Chanel | 6.9± | |
| Major Road | (2.1±) | |
| Total | 140.9± | 702 |
| Western Subarea Land Use | Acres | Units |
|---|---|---|
| Urban Residential 5.5 du/ac average* | 133.5± | 734** |
| Buffer Area*** | (5.2±) | |
| School | (10.0±) | |
| Park | 6.3± | |
| Total | 151.0± | 734 |
| Subtotal - Urban Areas | 1,436 |
| Central Subarea Land Use | Acres | Units |
|---|---|---|
| AR-1 | 215.4± | 215 |
| RD-2 | (2.3±) | 4 |
| M-2 | (5.8±) | |
| LC | 3.5± | |
| GC | 1.7± | |
| Major Road | (6.3±) | |
| Total | 228.7 | 219 |
| Eastern Subarea Land Use | Acres | Units |
|---|---|---|
| M-2 | (147.0±) | |
| Channel | 1.9± | |
| Major Road | (3.8±) | |
| Total | (148.9±) | |
| Grand Total | (669.5±) | 1,655 |
*Averaged residential density allows range of land use densities up to 7 du/ac.
**Unit Count is maximum overall allowable for subarea. Minimum overall allowable is 75% of maximum.
***Buffer Areas required by specific plan policy but included in average density calculations.
EXHIBIT SECTION 601-18.6
Section titled “EXHIBIT SECTION 601-18.6”
EXHIBIT SECTION 601-18.7
Section titled “EXHIBIT SECTION 601-18.7”
EXHIBIT SECTION 601-18.8
Section titled “EXHIBIT SECTION 601-18.8”
EXHIBIT SECTION 601-18.9
Section titled “EXHIBIT SECTION 601-18.9”