Cordova Industrial Uses NPA
Sacramento County Zoning Code
Cordova Industrial Uses Neighborhood Preservation Area Ordinance
Section titled “Sacramento County Zoning Code Cordova Industrial Uses Neighborhood Preservation Area Ordinance”Adopted July 12, 1978
NPA-78-2
Adopted by ZMA #3888 (1978 Rancho Cordova Consistency Rezone)
SECTION 530-20. INTENT:
Section titled “SECTION 530-20. INTENT:”It is the intent of the Board of Supervisors in adopting this Neighborhood Preservation Area Ordinance to provide for the continued and future industrial use of property described in Section 530-21, while at the same time protecting and preserving existing and planned residential neighborhoods on adjoining properties from adverse and incompatible impacts of said industrial uses. It is the further intent of the Board of Supervisors to provide the greatest protection possible to residential uses, while recognizing the industrial use of adjoining individually designated properties.
SECTION 530-21. PROPERTY REGULATED.
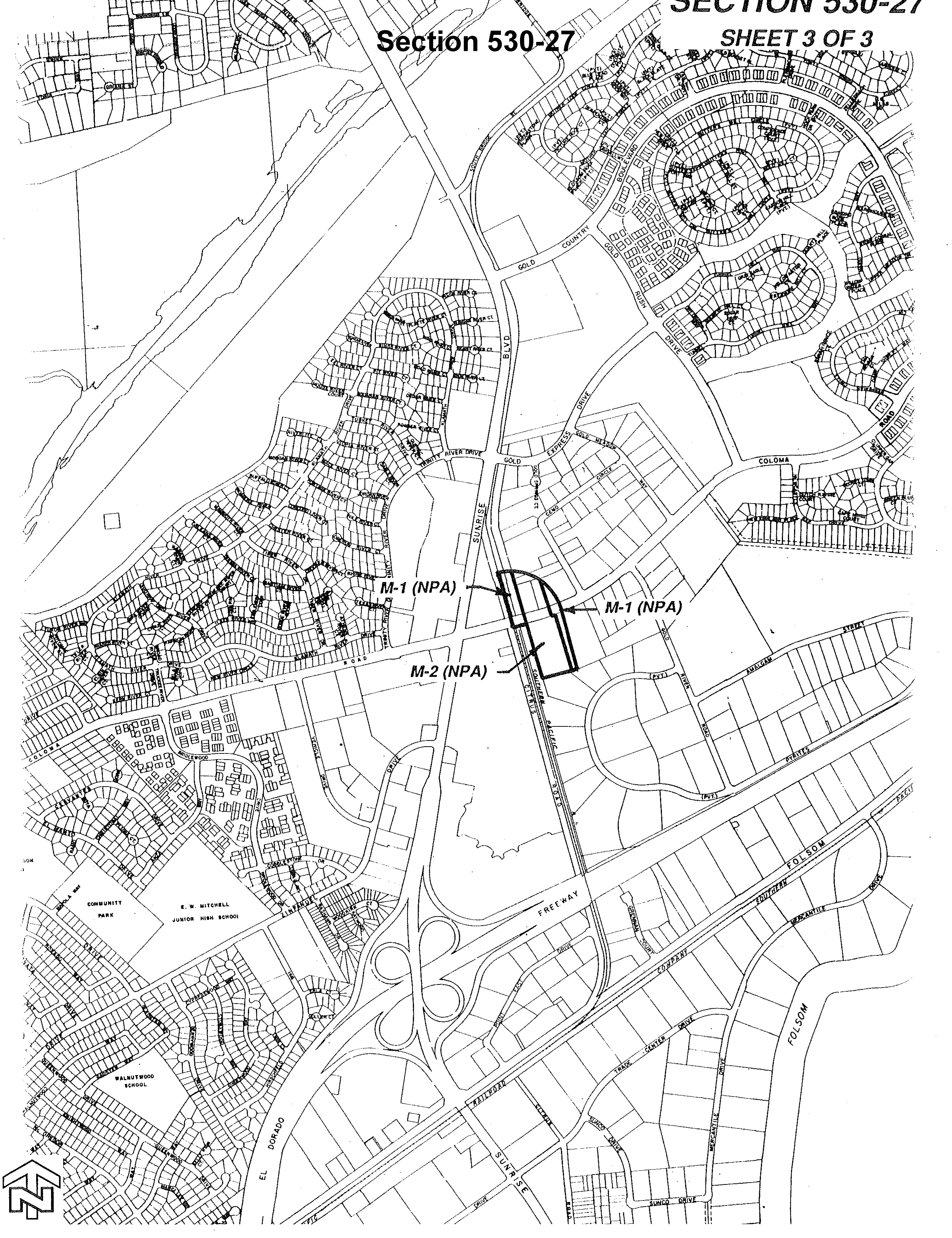
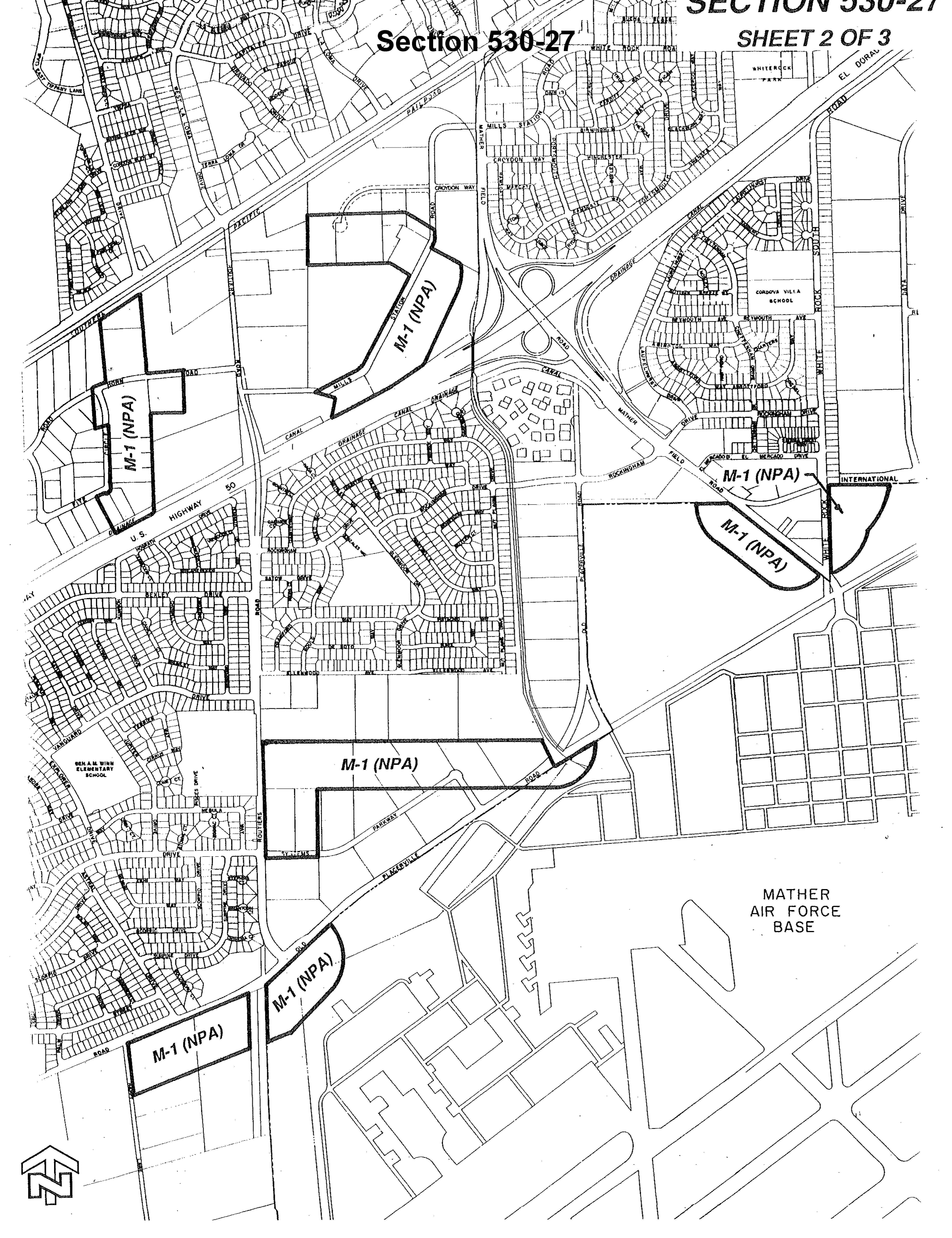
Section titled “SECTION 530-21. PROPERTY REGULATED.”This Ordinance applies to and regulates land use and development of all that real property in the unincorporated area of the County of Sacramento, as shown on Section 530-27 (as adopted by Ordinance No. SZC 86-18). Section 530-27, attached to this Ordinance, is incorporated herein and made a part of this Ordinance for all purposes.
SECTION 530-22. PERMITTED USES.
Section titled “SECTION 530-22. PERMITTED USES.”Uses permitted in this Neighborhood Preservation Area shall include those permitted in the underlying industrial land use zones as described in Section 230-11 of the Zoning Code of Sacramento County.
SECTION 530-23. DEVELOPMENT PLAN REVIEW.
Section titled “SECTION 530-23. DEVELOPMENT PLAN REVIEW.”No development shall take place on any property to which this Ordinance applies until final development plans have been approved by the Project Planning Commission as provided herein. The Planning Commission shall approve the development plan if the location and design of the proposed use mitigates potential adverse effects to the greatest degree practicable consistent with development standards established in Section 530-24, below. The Planning Commission shall not approve development plans under provisions of this section unless it first finds that the proposed development will not create adverse noise, visual, air quality, health, or safety impacts on adjoining residential uses.
SECTION 530-24. DEVELOPMENT STANDARDS.
Section titled “SECTION 530-24. DEVELOPMENT STANDARDS.”- Reference to Underlying Land Use Zone. All lot requirements, building setbacks, parking requirements, sign regulations, or other regulations not specifically described herein, shall conform to those regulations outlined in the Zoning Code of Sacramento County for the particular underlying land use zone.
- Height Regulations. No building or structure on property in this Neighborhood Preservation Area shall have height greater than 40 feet.
- Setback Adjacent to Residential Zone. When adjacent to any residential or agricultural-residential land use zone, the abutting yard shall be at least 75 feet in width, except for office uses which may be as close as 25 feet. The common boundary between said residential or agricultural-residential land use zone and the Industrial land use zone to which this Ordinance applies shall be demarcated by an 8 foot high solid barrier wall constructed of wood, rock, brick, or other masonry material. Chain-link fence with slats shall not be permitted. If the elevations of the residential and industrial properties are different, the Commission may require a higher wall during the course of site plan review. The required 75-foot setback (25 feet for office uses) shall be fully landscaped and shall include a combination of trees and shrubs designed to screen industrial uses from the view of adjoining residential uses. The planter shall be provided with a permanent irrigation system. Trees capable of reaching a height of at least every 30 feet at maturity shall be planted at least every 30 feet on-center along the required barrier wall.
- Landscaping. Excluding driveways, all front yard and side street yard setbacks shall include a minimum 4 foot wide landscaping planter adjacent to the public and private street rights-of-way. The planter shall include live landscaping and a permanent irrigation system. At least one tree shall be provided per fifty (50) feet of frontage on public and private streets. All plantings shall be kept in a healthy and growing condition. Irrigation systems shall be kept in working order.
- Uncovered Storage. Uncovered storage shall be permitted in the buildable portion of the lot provided that stored materials will not be visible from adjoining residential areas or public and private streets. Development standards for uncovered storage shall include but not be limited to the following:
- Storage areas shall be enclosed by a minimum six foot high solid wood, rock, brick, or other masonry fence, excepting that storage area boundaries which are located in an interior portion of the lot (i.e., not visible from the street) may be fenced with a chain-link fence. All required fences shall be maintained in a manner which provides the desired screening of stored materials.
- Stored materials shall not be stacked in such a manner that it extends above the height of the required fence.
- Loading Areas. Loading areas shall be provided as required in Section 330-120 of the Sacramento County Zoning Code. Loading areas, including space necessary for maneuvering vehicles, shall not be located in the required 75-foot setback from abutting residential or agricultural-residential land use zones and shall not extend into required landscape areas. The Commission shall not approve a development plan which includes a loading area, unless it finds that the location will not result in a significant noise impact on adjoining residential uses.
- Lighting. No unshielded reflectors, spotlights, floodlights, or other sources of illumination shall be located and directed such that they shine toward, or are directly visible from, adjacent residential or agricultural-residential property.
- Signs. Signs shall be permitted as provided for in Title III, Chapter 35 of the Sacramento County Zoning Code, except that no off-site sign shall be located such that it is visible from any adjoining residential or agricultural-residential land use zone.
- Building Elevations. The elevation of industrial buildings which are visible from adjoining residential or agricultural residential land use zones shall be reviewed to ensure that their design is architecturally compatible with the adjoining residential uses.
SECTION 530-25. VARIANCE.
Section titled “SECTION 530-25. VARIANCE.”The variance provisions of Title I, Chapter 10, Article 2, of the Zoning Code shall apply to this Ordinance.
SECTION 530-26. FINDINGS.
Section titled “SECTION 530-26. FINDINGS.”- Residential neighborhoods and the adjoining industrial areas subject to this NPA Ordinance are unique in that the two uses are juxtaposed in a manner which does not provide the necessary buffering between uses normally provided by a gradual transition of compatible land use zones. Regulations and standards contained herein will provide sufficient buffering to preserve and protect both residential and industrial uses.
- The area to which this NPA Ordinance applies encompasses and would affect numerous identifiable neighborhoods in the Cordova Community Plan area.
- The NPA Ordinance provides for a reasonable use of industrial property located adjacent to residential uses in a manner which will encourage its long-term individual use and, therefore, does not constitute undue hardship on property owners within the zone.
SECTION 530-27.
Section titled “SECTION 530-27.”
