Antelope Station SPA
Sacramento County Zoning Code
Antelope Station Special Planning Area Ordinance
Section titled “Sacramento County Zoning Code Antelope Station Special Planning Area Ordinance”Adopted June 17, 1992
Readopted December 4, 2002
Adopted by ZMA #5102 / 1991-CZB-ZOB-0323
Amended by 2001-ZOB-UPB-PRP-PAP-TMP-PMR-PRS-ABE-0103 (Walmart #5192)
507-20. INTENT.
Section titled “507-20. INTENT.”It is the intent of the Board of Supervisors in adopting this Special Planning Area Ordinance to permit development in a manner that allows mixed land use development including: commercial, industrial/office, and public/quasi-public uses. Proposed improvements within the Antelope SPA site shall meet the Development Standards within this SPA Ordinance and Design Guidelines attached to the Ordinance. The Guidelines and Standards seek to permit common forms of commercial and office development with minor design changes to ensure that the objectives of this planning area are met. The Guidelines and Standards are intended to ensure that the intensity, configuration and design of land uses are supportive of high-quality transit service and pedestrian activity. The character of land uses and their relationship to transit are intended to promote walking and biking, thus reducing reliance on the automobile and meeting County, regional and State air quality goals.
The objectives promoted by the establishment of this Ordinance include:
- Provide employment opportunities within the community that can be served by public transit.
- Provide an assemblage of commercial uses (a portion of which may be designed at a pedestrian scale) that are constructed of quality materials and enhance the visual character of the community.
- Establish a pattern of land uses that support biking, walking and transit use.
- Integrate the project site with the surrounding development and transportation system by creating pedestrian connections between the exterior streets, the interior drive aisles, and the retail buildings.
- Provide pedestrian circulation systems throughout the site and to the parcel reserved for potential rail service.
- Reserve in the site plan a minimum 5-acre parcel for potential rail service that allows for appropriate circulation and parking.
507-21. APPLICABILITY.
Section titled “507-21. APPLICABILITY.”The provisions of this Article shall apply to those properties shown in Section 507-36.1.
507-22. DEFINITIONS.
Section titled “507-22. DEFINITIONS.”- "Antelope Station Special Planning Area Development Standards" refer to the standards for the development of land uses within the SPA and are described in Section 507-36.4.
- "Antelope Station Special Planning Area Design Guidelines" refer to the guidelines for the design of uses with the SPA and are attached to this Ordinance.
- "High quality bus service" refers to bus transit service operating on a regular basis at 15- minute headways or express bus service.
507-23. REVIEW AUTHORITY.
Section titled “507-23. REVIEW AUTHORITY.”The Project Planning Commission is the appropriate authority to determine the consistency of development proposals with the provisions of the Antelope Station SPA Ordinance.
507-24. PERMITTED USES.
Section titled “507-24. PERMITTED USES.”The following are permitted uses within this SPA and their locations are depicted in Section 507-36.2.
- Commercial Areas: Permitted uses within the Commercial Areas are those uses permitted in the SC Shopping Center Lane Use Zone as listed in the Sacramento County Zoning Code Table II, Section 225-11 subject to the special conditions referenced in Section 225- 14, with the following exceptions and conditions:
- Public/Quasi-Public Uses: Public uses such as transit facilities, postal facilities, parks, plazas, and any other public facilities deemed appropriate by the approving authority shall be permitted throughout the SPA.
507-25. DEVELOPMENT PLAN REVIEW.
Section titled “507-25. DEVELOPMENT PLAN REVIEW.”Specific development proposals for properties within the SPA shall be submitted for the purposes of development plan review to the Planning Department for hearing and review before the Project Planning Commission in accordance with the provisions of Section 110-80 through 110-86 of the Zoning Code. The reviewer specified in Section 110-84 (a) shall be the Project Planning Commission. If the Guidelines and Standards do not provide direction regarding specific uses, the provisions of Title I, II, III and IV of the Zoning Code shall apply as appropriate.
507-26. DEVELOPMENT STANDARDS.
Section titled “507-26. DEVELOPMENT STANDARDS.”Noncompliance with the Special Planning Area Development Standards, Section 507-36.4 of this SPA will require securing a variance in accordance with the provisions of Sections 110-20 through 110-26 of the Zoning Code. The following conditions shall apply to Development Standards in the SPA:
- Each property owner shall prepare jointly or separately an erosion control plan prior to issuance of a grading permit or improvement plan approval, whichever occurs first. The erosion control plan must be prepared to the satisfaction of the Water Resources Division Chief. The plan shall be designed to minimize water quality degradation by controlling the runoff of sediment and other pollutants during the course of construction, and providing swift stabilization and protection of disturbed areas.
Specific measures such as seeding, mulching, coverings, straw bales, detention areas and other techniques consistent with the erosion control plan goals as approved by the Water Resources Division Chief will be required. - If required by the County form a zone of the Sacramento County Water Agency for the purpose of managing urban stormwater discharges from the project.
- If the U.S. Army Corps of Engineers (Corps) determines that any wetlands are present on the site and if filling of any wetlands is considered, secure a Section 404 Permit from the Corps and provide compensation for lost wetland habitat as required.
- Water down exposed earth surfaces during clearing, grading, earthmoving, and other site preparation work.
- Limit construction to daytime hours between 6:00 a.m. and 8:00 p.m., and require all heavy equipment and compressors to be fitted with adequate mufflers and enclosures.
- Any new water wells placed on the site shall be subject to regular water quality testing to determine the presence of unsafe levels of toxins.
- Any operation producing air emissions shall be reviewed by the Air Pollution Control Officer for compliance with the Rules and Regulations of the Sacramento Metropolitan Air Quality Management District.
- Any facilities emitting hazardous air emissions will be required to identify sensitive receptor facilities such as schools, hospitals and long term care facilities, in compliance with AB 3205.
507-27. DESIGN GUIDELINES.
Section titled “507-27. DESIGN GUIDELINES.”In order to encourage innovative design and provide maximum flexibility, the Special Planning Area Design Guidelines, attached to this Ordinance, shall be interpreted liberally with the primary intent of meeting the objectives stated in Section 507-20 of this Ordinance. Noncompliance with the Design Guidelines will not require a variance application or variance consideration as part of the approval process. However, noncompliance can be grounds to require a redesign, either in respect to detail or in respect to overall design concept.
507-28. LANDSCAPING.
Section titled “507-28. LANDSCAPING.”The provisions of Sections 315-45 and 325-03 of the Zoning Code, development requirements for commercial and industrial uses, shall apply to this site. The Special Planning Area Design Guidelines provide additional guidance regarding landscaping. In the event of a conflict between Zoning Code standards and the Design Guidelines, the Project Planning Commission shall have the authority to apply the standard or guideline most appropriate to meet the stated objectives of this Ordinance. The following conditions shall apply to landscaping in the SPA:
- Submit a tree preservation plan for review and approval as part of the development plan review process (Note: The proposed SPA Ordinance requires development plan review by the Project Planning Commission for specific development proposals within the SPA) The tree preservation plan shall show all existing trees on the site, and shall indicate which of those trees are proposed to be saved and which are proposed for removal. Every effort shall be made to incorporate existing healthy trees (especially mature trees) in the landscape plan whenever feasible through careful site planning.
- Any existing oak trees on the site (with the exception of any oaks within the right-of-way for Antelope Road, Roseville Road, interior collector roads shown on the SPA Circulation Diagram, and light-rail facilities) shall be retained:
- No grade cuts greater than one foot shall occur within the driplines of oak trees, and no grade cuts whatsoever shall occur within five feet of their trunks;
- No fill greater than one foot shall be placed within the driplines of oak trees and no fill whatsoever shall be placed within five feet of their trunks;
- No trenching whatsoever shall be allowed within the driplines of oak trees. If it is absolutely necessary to install underground utilities within the dripline of an oak tree, the trench shall be either bored or drilled;
- No irrigation system shall be installed within the driplines of any oak tree(s) which may be detrimental to the preservation of the oak tree(s) unless specifically authorized by the approving body or the Environmental Coordinator.
- Landscaping beneath oak trees may include non-plant materials such as boulders, cobbles, wood chips, etc. The only plant species which shall be planted within the driplines of oak trees are those which are tolerant of the natural semiarid environs of the trees. Limited drip irrigation approximately twice per summer is recommended for the understory plants. A list of permitted plants may be obtained from the Sacramento County Environmental Review and Assessment Department.
- Paving within the driplines of oak trees should be stringently minimized. When it is absolutely necessary, porous material should be used.
507-29. SIGNS.
Section titled “507-29. SIGNS.”The provisions of Title III, Chapter 35, Sign Regulations shall apply to this site. The Special Planning Area Design Guidelines provide additional guidance regarding signs. In the event of a conflict between Zoning Code standards and the Design Guidelines, the Project Planning Commission shall have the authority to apply the standard or guideline most appropriate to meet the stated objectives of this Ordinance.
507-30. PARKING.
Section titled “507-30. PARKING.”The parking provisions of Section 507-36.4, Development Standards shall apply to this site. In the event this section does not address specific standards, the provisions of Title III, Chapter 30, Off-Street Parking Standards shall apply. The Special Planning Area Design Guidelines provide additional guidance regarding parking. In the event of a conflict between Zoning Code standards and the Design Guidelines, the Project Planning Commission shall have the authority to apply the standard or guidelines most appropriate to meet the stated objective of this Ordinance. Joint use parking is encouraged.
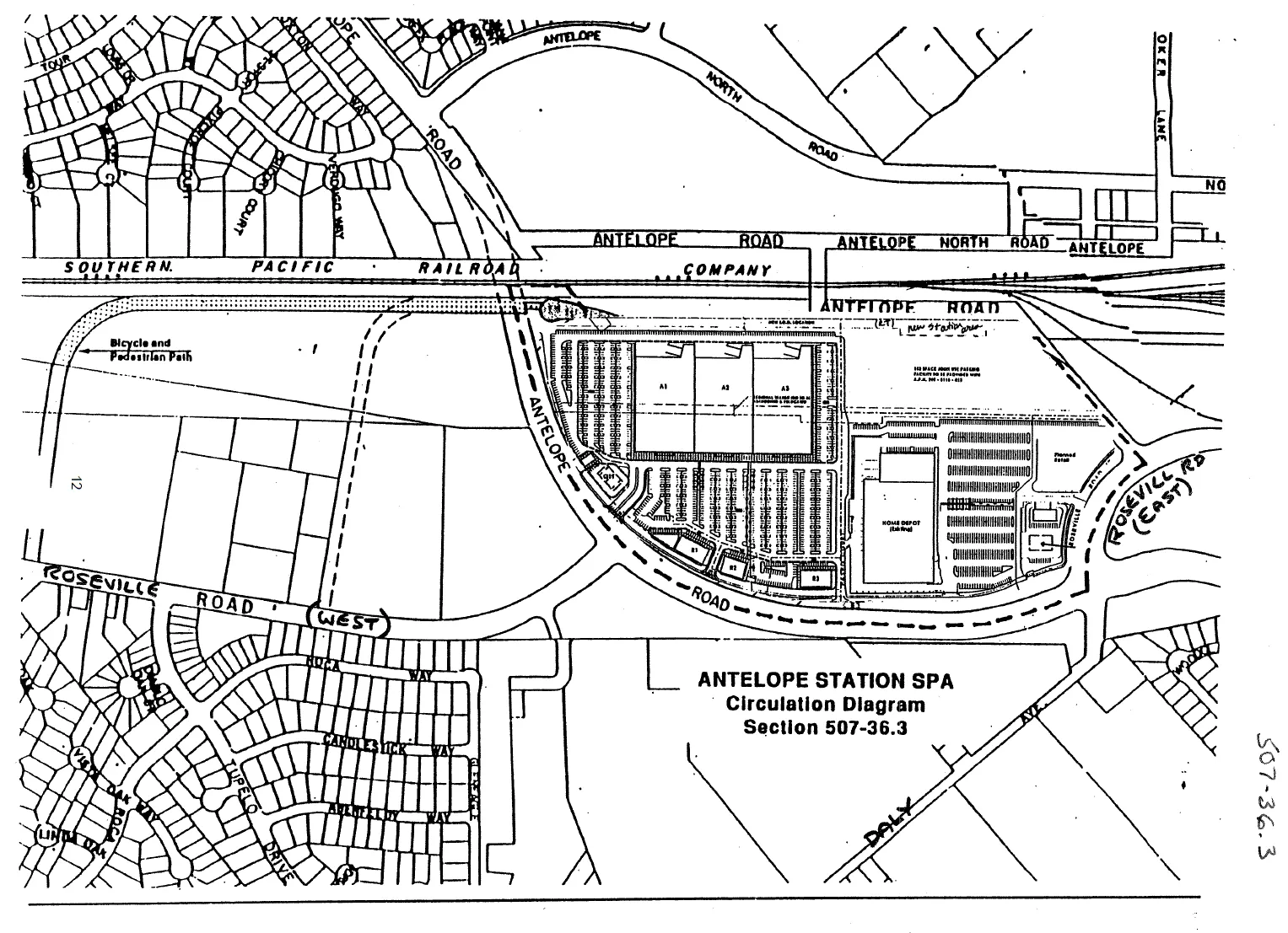
507-31. CIRCULATION PLAN.
Section titled “507-31. CIRCULATION PLAN.”Development Plans must be in substantial compliance with the intent of this SPA and shall show minor street and pedestrian linkages within the area. Plans shall indicate how they relate to the adjacent roadways, the Design Guidelines, and the Circulation Plan as shown on the project site plan. The Director of Planning and Community Development will determine any issues regarding substantial compliance of development plans. Appeals of the Director’s action may be made to the Board of Supervisors. The Guidelines recommended reduced roadway widths in the spirit of Ordinance No. SCC-0797 adopted by the Board on May 10, 1990. The intent of the pedestrian connection between Roseville Road and the rail station is to provide alternative bicycle and pedestrian access to the station and project area. Visibility of the rail station and commercial areas should be provided for the development plans. The intent of the private drive located between Antelope Road and the transit station in the northeastern portion of the SPA is to provide access to the internal section of the project area from Antelope Road. That private drive shall continue as a through street; however, pedestrian walkways shall be provided to enhance non-auto access to all portions of the SPA and future transit station. The following conditions shall apply to the Circulation Plan of the SPA.
- All property owners within the SPA, as shown in Section 507-36.1, shall provide, or participate in the funding for, the following improvements to the satisfaction of the Public works Agency. The Public Works Agency will calculate "fair share" contributions among property owners to determine each property's required contribution to the following improvements within or adjacent to the proposed SPA:
- Property owners shall obtain off-site right-of-way and construct off-site street widening to provide a turn pocket on Roseville Road (North) to access the project.
- Dedicate access rights to the County for Roseville Road (North) adjacent to the project.
- Pedestrian/bikeway easement: Provide a 20-foot pedestrian/bikeway easement at the west corner of the site to tie into a possible pedestrian/bikeway running westerly adjacent to the possible light rail line to Stationers Way.
The following conditions are “carried over” in the Initial Study from the Antelope Crossing project, Control No. 89-1466. Property owner(s) of that portion of the SPA shown as “A” on the diagram in Section 507-36.1 shall be responsible for providing their “fair share” contribution of the following improvements:
- Don Julio Boulevard/Antelope Road intersection: Add second left turn lanes to both the northbound and southbound approaches on Don Julio Boulevard and separate right turn lanes to both the eastbound and westbound approaches on Antelope Road. Add a third through lane on Don Julio Boulevard.
- North Antelope Road/Antelope Road intersection: Add a second left turn lane to the southbound approach on North Antelope Road; this would result in dual left turn lanes and an exclusive right turn lane at the southbound North Antelope road approach.
- Antelope Road/Roseville Road (South) Intersection: Provide dual left turn lanes, three through lanes and exclusive right turn lanes on the Antelope Road approaches. Provide dual left turn lanes on the northbound Roseville Road approach.
- Antelope Road/Roseville Road (North) intersection: Add a separate right turn lane to the westbound Antelope Road approach.
- Tupelo Drive/Antelope Road intersection: Add a second separate left turn lane at the southbound Tupelo Drive approach; the resulting geometry for the southbound Tupelo Drive approach would be dual left turn lanes and a through plus right turn lane.
- Provide a visibility easement(s) at the Antelope Road/main drive aisle intersection pursuant to Section 4-10 of the Sacramento County Improvement Standards.
- Install intersection widening on "Main Street" near Antelope Road to the satisfaction of the Transportation Division.
The following conditions are “carried over” from the proposed Antelope Station project (control nos. 89-0793, 89-0794 and 89-1535), as reviewed through an Environmental Impact Report in July, 1990. It is important to note that this project’s contribution to the following improvements is proportional to the original request which involved a substantially larger area. The Public Works Agency will determine the “fair share” contribution required for the following improvements for the property owners of that portion of the SPA shown as “B” in Section 507-36.1:
- Provide an additional lane on both Andrea approaches to Elkhorn Boulevard and an additional lane on both Diablo Drive approaches to Elkhorn Boulevard, along with restriping of northbound Diablo Drive to create an exclusive right turn lane and a through plus left lane.
- At the intersection of Elkhorn Boulevard/Diablo Drive, add a second left turn lane to the westbound approach on Elkhorn Boulevard. An alternative mitigation would be to add an additional through lane to both eastbound and westbound Elkhorn Boulevard (total of six through lanes).
- Add a second exclusive left turn lane to the southbound approach on Diablo Drive at the Elkhorn Boulevard/Diablo Drive intersection. The resulting geometry at this approach would include dual left turn lanes and a through plus right turn lane. An alternative mitigation would also be the upgrade of Elkhorn Boulevard to six lanes.
- Add a second left turn lane to the eastbound approach on Elkhorn Boulevard at the Elkhorn Boulevard/Andrea Boulevard intersection. An alternative mitigation at this location would also be the upgrade of Elkhorn Boulevard to six through lanes.
- Don Julio Boulevard/Antelope Road intersection: Add second left turn lanes to both the northbound and southbound approaches on Don Julio Boulevard and separate right turn lanes to both the eastbound and westbound approaches on Antelope Road. Add a third through lane on Don Julio Boulevard.
- Antelope Road/Roseville Road (South) intersection: Provide dual left turn lanes, three through lanes and exclusive right turn lanes on the Antelope Road approaches. Provide dual left turn lanes on the northbound Roseville Road approach.
- Antelope Road/Roseville Road (North) intersection: Add a separate right turn lane to the westbound Antelope Road approach.
- Tupelo Drive/Antelope Road intersection: Add a second separate left turn lane at the southbound Tupelo Drive approach; the resulting geometry for the southbound Tupelo Drive approach would be dual left turn lanes and a through plus right turn lane (off-site right-of-way required).
The following improvements are “carried over” from the Environmental Impact Report for the Southern Pacific General Plan project (86-509, 86-510 and 86-1240) in April 1987 as modified by the Initial Study for the Antelope Station project (91- 0323). The following improvements will involve a proportionate “fair share” contribution to the determined by the Public Works Agency for the property owner(s) of the area identified as “C” in Section 507-36.1:
- Construct a minimum four lane roadway configuration on North Roseville Road to a point where volumes allow for a reduction to a two lane configuration. The termination of the four lane minimum Roseville Road (North) section will be located at the north property line of the SPTC project with a gradual taper to the existing two lane section.
- Construct the Roseville Road (South) alignment to a minimum of four travel lanes from realigned Antelope Road to the south property line of the SPTC project.
- Signalize the Roseville Road and Diablo Drive intersection.
- Elverta/Antelope Road intersection: Installation of a third through lane on the eastbound Elverta Road approach would be required by the Antelope Facilities Plan. However, to achieve improved Level-of-Service, an auxiliary acceleration lane serving the north bound to eastbound Antelope Road right turn would have to be installed. Such a lane would have to be 500 to 1,000 feet long (off-site right-of- way required).
- Roseville Road: Widen to four lanes from Gold Run Drive to the Foothills Boulevard extension in Roseville.
507-32. PERFORMANCE STANDARDS.
Section titled “507-32. PERFORMANCE STANDARDS.”The following Performance Standards must be met prior to the issuance of a building permit. In addition, the requirements of any prior zoning agreements that are not specifically discussed or modified by this Ordinance shall apply. Specific conditions related to the land use design and mixture are included below.
- Transit Service. Prior to issuance of building permit, abandon the existing light rail IOD as shown on the Tentative Parcel Map, Exhibit "X" and relocate the IOD along the northwesterly property line, adjacent to the UPRR, as generally shown on the Entitlement Site Plan, Exhibit "A", to the satisfaction of RT.
A bus transfer facility immediately adjacent or incorporated into the light-rail transit station shall also be dedicated. A minimum 220 space joint use parking facility shall be provided in the vicinity of the station for park-and-ride service for Regional Transit users.
Not less than 5 acres of proposed parcels 8, 9, 10, and 11 on the submitted Tentative Parcel Map 01-PMR-0103 (portion of assessors parcel 209-0110-022) shall be reserved to the benefit of Regional Transit (RT) for a period which shall be the earlier of 12 months after the passage of the measure A (MSA) renewal/augmentation or November 2009. Should the 5 acres not be acquired by RT or another similar transit related agency during the reservation period, they may be developed for any use permitted in the "SC" zone classification, subject to other terms of the SPA Ordinance. During said reservation period, up to 2 acres of said parcels may be developed for retail uses, provided that development of such 2 acres shall be subject to the approval of the Board of Supervisors or shall be included in the terms of a co-development agreement (or similar agreement) between the property owner and the lead agency providing the potential rail service to the site. - Transportation Systems Management Plan (TSMP). All properties within this SPA shall establish a Transportation Management Association or join the existing "Antelope West Group Transportation Systems Management Association 88-TMP-1565". For those properties not currently included within the Antelope West Group TSMP, the property owner shall be responsible for amending the plan to include their property. Appropriate fees shall be required for establishing a new TSMP or to review an amendment proposed to an existing TSMP. The adoption of a new TSMP or an amendment to an existing TSMP shall be subject to the review and approval of the Board of Supervisors.
The association shall be responsible for preparing and updating a TSMP for the SPA as described in Zoning Code Sections 330-140 through 150. The TSMP shall promote employee use of alternative commute modes in order to achieve a 30 percent reduction of peak hour vehicle trips by car pooling, van pooling, public transit, bicycling, and pedestrian commuting. The TSMP shall include:- the designation of a Transportation Coordinator who shall implement the provisions of the TSMP and submit an annual report to the Planning Director;
- a description of pedestrian and bicycle linkages to adjoining uses and transit support facilities;
- a provision for the location and construction of a child care center prior to full buildout of the land uses within the SPA. The child care center shall be constructed within 1/4 mile of the rail station; and
- a consideration of the siting of a telecommute center within the office or commercial areas of the SPA.
507-33. INCREASING NONRESIDENTIAL INTENSITIES.
Section titled “507-33. INCREASING NONRESIDENTIAL INTENSITIES.”Commercial intensities may be increased beyond those permitted outright in Section 507-26.4 and the Zoning Code upon issuance of a use permit. This increase in intensity shall be permitted upon review by the Project Planning Commission of development plans which address (1) glare/reflected heat; (2) energy efficiency; (3) traffic impacts; and (4) effects on adjacent parcels relating to height, scale, and mass of the proposed building. The Project Planning Commission shall find that any adverse effects caused by the above factors have been adequately mitigated through design features incorporated into the proposed project. Light-rail or high quality bus service shall be provided to the site prior to issuance of a use permit for increased intensities.
507-34. PHASING.
Section titled “507-34. PHASING.”It is the intent of this Ordinance to encourage phasing of additional development as transit service to the site develops and matures.
The initial phases of development will be primarily oriented toward commercial and related support uses that respond to the needs of the surrounding community. Development of initial uses on the site should maintain flexibility in design to ensure compatibility with future phases. Phasing may occur through development of structure parking facilities, reducing the amount of parking, development of parking areas with other uses, and increasing the intensity of existing buildings. Implementation of phasing and increasing intensities must comply with the requirements of Section 507-33.
507-35. FINDINGS.
Section titled “507-35. FINDINGS.”The Policy Planning Commission and Board of Supervisors make the following findings in adopting this Ordinance.
- Commercial uses are appropriately located adjacent to transit lines.
- The SPA encourages pedestrian mobility throughout the various uses and to the light- rail station.
- The application of a standard land use zone cannot adequately address the development and performance standards deemed appropriate for the site.
- This Special Planning Area is of sufficient size that the adoption of the regulations contained therein will not constitute the granting of a special privilege nor deprivation of property rights.
- The Special Planning Area will provide for a reasonable use of the land and not cause undue hardship on the property owners.
507-36.1 Area Regulated by the SPA
Section titled “507-36.1 Area Regulated by the SPA”
507-36.2 Land uses in the SPA Section
Section titled “507-36.2 Land uses in the SPA Section”
507-36.3 Circulation Diagram
Section titled “507-36.3 Circulation Diagram”
507-36.4 Antelope Station Development Standards
Section titled “507-36.4 Antelope Station Development Standards”
| Land Use Type | Config. | FAR/Intensity Min./Max. | Front | Side | Rear | Parking Requirements |
|---|---|---|---|---|---|---|
| Shopping Center (SC) | B, C, D | 0.20 / 0.35 [1] | Min. 20’ front yard setback between any structure and the street ROW. | Interior side yard not required. | Rear yard not required. | Min 4.5 parking spaces / 1000 square feet of gross floor area. |
| Public/Quasi-Public | N/A | N/A | 20’ maximum for seating, sidewalk. | Side yard setback may be waived if side yard is adjacent to rail line or spur tracks. | Rear yard not required. | To be determined by Regional Transit. |
Note that Config Notes A and E are no longer in use.
[A] Primary entrances shall be physically and visually oriented toward street; secondary entrances oriented toward parking lots are permitted.
[B] Primary entrances may be oriented towards parking lots, however landscaped pedestrian link to public street shall be provided.
[C] Windows and/or displays shall be oriented toward street; blank and unarticulated walls prohibited.
[D] Outdoor storage nad loading shall not face public streets or parks, and must be screened from public view.
[E] Parking lots shall be located in the interior of blocks and generally separated from the street by buildings; parking shall not occupy more than 33 percent of the frontage streets.
[1] Additional intensity is allowed with the provisions of Section 507-33 of the SPA Ordinance.
507-25.5 Exhibit “A” Antelope Station Design Guidelines.
Section titled “507-25.5 Exhibit “A” Antelope Station Design Guidelines.”Adopted June 17, 1992
Readopted December 4, 2002
I. Introduction
Section titled “I. Introduction”A. Purpose and Intent
Section titled “A. Purpose and Intent”These design guidelines have been prepared for the Antelope Station mixed-use development in the northeast portion of Sacramento County. The guidelines provide for a flexible framework for utilizing innovative design, addressing project-wide issues, and for focusing in on site specific issues. These guidelines present the desired character for future development but are not intended to limit innovations in high quality design.
B. Project Description
Section titled “B. Project Description”Antelope Station is approximately a 50 acre commercial project located on the corner of Antelope and Roseville Roads in northeastern Sacramento County. The vision of the project is to develop a Commercial Shopping Center which would serve the needs of the surrounding community through creation of a pedestrian friendly environment while providing land uses and intensities to support the use of transit in the area.
C. Phasing
Section titled “C. Phasing”The development of the project, over time, may occur in conjunction with the necessary transit improvements which play an important part in supporting the viability of the site. The initial phases would be primarily oriented toward the commercial shopping center and related support uses that respond to needs of the surrounding community. Development of the initial plan is intended to maintain flexibility in design to ensure compatibility with future phases.
II. Site Planning
Section titled “II. Site Planning”To address the entire development of the site as a cohesive environment, it is necessary to explore all of the following components which create the setting for a pedestrian friendly environment. These components; site planning, architectural character, landscape character and signage/lighting must be addressed to thoroughly understand the desired goals of a coordinated development approach. They are discussed in greater detail, under each section, focusing. on the key elements which promote a pedestrian environment.
The primary consideration in creating a site oriented towards pedestrian use is, how it is organized or how the elements are arranged in relationship to one another. The key elements below are those main factors which facilitate the creation of a pedestrian environment.
A. Auto Circulation
Section titled “A. Auto Circulation”In order for a transit related project to operate efficiently, the auto circulation system should provide a safe, direct means of movement throughout the site. The guidelines are as follows:
- Reduction of typical collector street right-of-way widths is encouraged on all interior streets to promote slower driving speeds and reduce the amount of paving dedicated to auto traffic.

- Suggested use of speed bumps, signage, cross walks and special ground paving to alert driver of intersections, etc. are encouraged to reduce vehicular speeds in heavy pedestrian use areas.
- All interior collector roads (main streets) are suggested to converge on a central point terminating at a proposed transit station in proximity to the existing rail line. Cul-de-sac and dead end streets should be avoided.
- Encourage use of landscape to reinforce, frame and direct linear pedestrian and vehicular systems
B. Pedestrian Circulation
Section titled “B. Pedestrian Circulation”The pedestrian system should provide clear comfortable and direct access to transit stops and between individual land uses. The following guidelines should be considered in the layout and design of all pedestrian systems.
- Site layouts on individual parcels should provide the opportunities for pedestrian connections between parcels.
- Walkways should be designed in a linear fashion emphasizing direct access to uses on-site, avoiding a meandering sidewalk layout.
- Separate raised walkways are encouraged in larger, high-turnover parking lots to provide pedestrian safety.
- Sidewalk should begin at the back of existing curbing.
- Sidewalks are encourage to be at least six feet (6’) wide for two people to comfortably walk side by side.
- Encourage the location of the primary pedestrian paths to be alongside the street system helping to reinforce the configuration of the pathway system.
- Utilization of textured paving is encouraged to denote pedestrian crossing and to alert drivers of approaching crosswalk.
- Landscaping along drive aisles should break at strategic locations to create a pedestrian landscape feature. Suggested landscape features may include the use of accent plant material with varying color, texture and height to enhance pedestrian scale and create notice of landscape break to be mirrored on the opposite side of street.

-
Benches are suggested to enhance and reinforce the pedestrian environment by providing a resting stop, place to relax and location to gather. Benches should be located along open pathway areas, in central courtyards or plazas and under shade structures, awnings or trees.
-
Bollards may be utilized as hardscape elements to direct vehicles or pedestrians into or out of plaza/courtyard areas. They can also be used for denoting the edges of unmarked areas while maintaining an open, airy feeling. They have a dual purpose of proving light along any location at night.
C. Structure Siting
Section titled “C. Structure Siting”In a pedestrian oriented environment the structural element conI tributes greatly to how the pedestrian perceives their surroundings. The following guidelines address the relationship between the location of the structure and the pedestrian needs.
- Orientation of structures should maintain a high level of flexibility to focus on both streetscape.
- Maintaining a consistent flow of sidewalks intermingled with buildings and gathering space is encouraged.
- Pedestrian movement should flow easily to and from potential transit stops. Buildings should enhance the free flowing movement of pedestrian traffic throughout all parcels.
- Anchor retail buildings may have their entries from off-street parking lots, however, on-street entries are encourage.
- Ground floor commercial building entrances may orient towards streets and/or the interior parking lots.
- Accentuate entry areas through the use of awnings, shade structures, canopies, arcades, covered walkways, colonnades, hard and soft landscape accent treatments and lighting.
- Main building entry areas which lead to multiple commercial uses should be accented by a vertical focal element (i.e. clock tower)
- Building entrances should incorporate low roof, awning, archway, canopies, landscape accent and lighting treatment to create an inviting focal entrance for pedestrian use.
- Building shapes are encouraged to allow visibility into and circulation in front of, major structures. This design would facilitate linkages between different parcels and encourage designs that prevent structures from restricting on-site pedestrian/vehicular circulation.
- Building mass should attempt to achieve a variety of facade relief.
- Building separation should remain within comfortable walking distances to encourage less reliance on vehicular movement within the site.
- Buildings located on parcel corners are encouraged to orient towards street and promote the flow of pedestrian access into the site.
- Alternate the placement of buildings within the site to create a variety of pedestrian space opportunities.
- Building placement should take care to incorporate outdoor green space small pockets dispersed throughout the site.
- Building placement along arterial streets should provide landscape opportunities and pathways to encourage and invite offsite pedestrian access.
D. Parking
Section titled “D. Parking”Parking lots can tend to dominate the landscape in most built environments and present the appearance of an auto oriented project. The following guidelines are intended to reduce the general image of endless acres of parking within a project site:
- Consideration should be given to the amount and placement of parking lot areas.
- Parking along frontage areas should be scaled down to promote inviting pedestrian level environment.
- Parking lot access points are encouraged to be kept at a minimum to maintain safe and smooth traffic flow on adjacent main streets.
- Parking is encouraged around all sides of the buildings to reduce expansive parking lot areas.

- Orient parking and driving lanes perpendicular to the building to enhance pedestrian safety.
- Encourage parking lots that are broken up by landscaping, structures, and pedestrian paths.
- Parking lot areas should not dominate the site area and appear as expansive and never ending.
- Encourage site uses to share parking facilities reducing site area devoted to parking lots.
- Unusually long lines of stalls in some parking lots can be minimized by employing slight curves, irregular shapes and interruptions. Care should be given not to create confusion to the alignment of the parking design.
- Visual impact can be reduced by breaking up the parking area into discrete islands or clusters of space.
- Utilize landscaping to reduce expansive areas of pavement
E. On-street Parking
Section titled “E. On-street Parking”Locating parking on-street would help to reduce the amount of land dedicated to parking and create buffers between moving traffic and pedestrians.
- Encourage on-street parking on interior collector streets to reduce the amount of land area dedicated to parking lot space .
- [DELETED 12-04-2002]
- Parallel parking is encouraged along main streets within the site and should be oriented in such a way as to minimize the restriction of the free flow of pedestrian and vehicular movement.
- [DELETED 12-04-2002]
F. Loading Areas
Section titled “F. Loading Areas”Loading areas at retail sites can have a negative / impact on the community image, requiring mitigation.
- To maintain aesthetic quality, loading and unloading of transport vehicles, storage of bulk materials and assembly of products should be screened from view.

- Screening should have adequate access openings for the passage of all transport vehicles.
- Screening is encouraged to take the form of dense landscaping, masonry or wood materials compatible with the adjacent architectural style.
G. Transit Facility
Section titled “G. Transit Facility”Implementation and construction of the proposed transit facility should be the responsibility of the Regional Transit Agency and should incorporate the following design objectives to achieve consistency and compatibility.
- The transit facility should maintain flexibility in its site orientation so as to align with all linear pedestrian walkway and vehicular systems, all of which have been incorporated for the free flow of movement on the site toward the transit facility.
- The rail station should be located at the northeastern parcel of the site adjacent to the existing railroad tracks.
- Plaza areas should be incorporated in the design of the transit facility to encourage more utilization of the facility beyond that of loading onto or off of proposed mass transit vehicles.
- Plaza areas should incorporate places for gathering and meeting, siting and resting etc. which flows into the utilization of the rest of the site area.
- Landscaping within the transit facility should be incorporated to blend in with the surrounding existing landscape and should be kept at a pedestrian scale.
- The transit facility should include, but not be limited to, bicycle storage, pedestrian shelters, seating, information kiosks, locker storage etc.
III. Architectural Character
Section titled “III. Architectural Character”In the built environment, architecture is the most prominent element in defining physical space. The intent of these guidelines is not to stifle individual creativity, but rather to create a basic framework for a strong collective statement.
A. Size
Section titled “A. Size”The perceived size of a building can contribute greatly to the pedestrians comfort when moving through the project. To this end the following guidelines apply:
- Architecture along the street should maintain single story appearance but is encourage to step back away from the street with the introduction of additional stories.
- Arcades, covered walkways, canopies, and colonnades are features that create an aesthetically pleasing building while creating pedestrian scale.
- Architectural details should be incorporated to break large masses of building facade.
- Encourage building form that offers diversity in mass throughout the site.
B. Facade Treatment
Section titled “B. Facade Treatment”The exterior shell of a building will be the most noticed part of the built environment. In order to create continuity throughout the site the following guidelines are recommended:
- Brick or masonry materials are encouraged as the dominant, or accent facade material for all structures throughout the site
- Building materials that are utilized should create a definite style, theme or character of architecture and are encouraged to maintain consistency throughout the site.
- Building materials should be compatible with existing surrounding architectural styles within the project.
- Building materials that are chosen to reflect a particular architectural style should be appropriate and compatible with the form and mass that the style is trying to achieve.
- Distinctive buildings are encourage.
- Facade articulation is encouraged to create visual interest and relief.
FACADE ARTICULATION IS ENCOURAGED TO CREATE INTEREST
- Interruption of large vertical building masses by architectural details helps to create variety.
- Appropriate use of false facades, alcoves, projections, and colonnades create unique and diverse building relief.
- [DELETED 12-4-2002]
- Use of awnings throughout the site provides shading and color which encourages pedestrian use of the site.
- Arcades, walkways, colonnades, and shaded trellis passageways are encouraged to support linear pedestrian movement along the edge of buildings while proving shade control and an aesthetically pleasing environment to stroll along.
- Side and rear building elevations should incorporate the same architectural details which create character on the front elevation whereby eliminating large expanses of blank walls.
C. Roofs
Section titled “C. Roofs”Roof lines are important in defining the visual horizon of the project. The following guidelines should apply.
- Roof articulation, pitch and material should carry a consistent theme that is compatible to the architectural style that is to be achieved.
- Flat roofs with simple, horizontal parapets high enough to hide rooftop equipment are acceptable, however rooftop articulation is preferred. Mansard roofs should not be allowed.
- Roof materials should maintain a consistent theme with the architecture.
- Corrugated aluminum, unpainted metal, untreated wood and extremely bright painted roofing materials are some of the roof materials that should not be allowed.
- Screen all roof mounted equipment from ground viewing
IV. Landscape Character
Section titled “IV. Landscape Character”The landscape character is probably the single element most likely to provide a pleasant, inviting experience to any project. Landscape elements not only provide natural living diversity, but also shade from Sacramento’s intense summer climate, screening and softening of harsh built environments, and the opportunities for social activities out of doors.
THE LANDSCAPE SOFTENS THE BUILT ENVIRONMENT
A. Street Trees
Section titled “A. Street Trees”Street trees will be an important element of the project delineating street edges, providing shade, and adding textural diversity to the site. The following guidelines are suggested.
- Street trees are encourage to he placed 30 feet on center in a formal arrangement to reinforce the organization of vehicular and pedestrian systems along the arterial streets.
- Street trees are to be located within a planter strip or parkway that is to be provided along the main and arterial streets creating shading and visual relief.
STREET TREES PROVIDE SHADE AND VISUAL CONTINUITY
STREET TREES PROVIDE A VISUAL BUFFER FOR BACKGROUND STRUCTURES
- Broad leaf deciduous trees should be used to allow for passive solar gain in the winter and cooling in the summer.
B. Plaza Areas
Section titled “B. Plaza Areas”With the exception of the Shopping Center Commercial Area (which shall be excluded from this requirement), plazas should be provided that are safe, comfortable, and linked to the pedestrian circulation system within the project. The following guidelines apply:
- A variety of plaza or courtyard type gathering areas should be appropriately designed and located within the development to create focal points and areas of activity.
- Special consideration should be given to make these spaces not only functionally appropriate but consistent with the character and density of the surrounding area.
- Consideration should be given to the selection of finished hardscape materials such as stone or brick with the inclusion of fountains and seating areas.
- Shade structures or shade trees should be appropriately distributed to provide adequate shading for comfortable mid-day summer use and sunny areas for winter use.
- Consideration should also be given to providing the appropriate sheltered areas for inclement weather
- Intermingled with the hardscape should be a variety of plants that introduce color, texture and mass differentiation.
C. Parking Lots
Section titled “C. Parking Lots”Parking lot visual impact can be greatly reduced by providing an intense landscape program. The guidelines that follow address ways in which impacts can be reduced.
- Once cars have entered the parking areas, landscaping should be reduced so that motorists can determine where different functional areas (i.e. visitor parking, pick-up or drop-off points, and building entrances) are located.
PARKING AREA LANDSCAPE SHOULD BE LESS INTENSE TO ALLOW VISUAL CONNECTION TO AMENITIES
-
Principle parking lot entries should be enhanced to make a major statement into the development area.
-
Entries should incorporate a theme that is consistent with the architectural style of the strucrures they serve.
-
Utilizing a combination of large deciduous trees, accent flowering trees, low shrub, ground cover and grasses help to accentuate parking lot entries.
-
Signage is encouraged to be incorporated into the landscape entry statement. Median planting areas are also encouraged at major entries.
-
Shade trees shall be installed to comply with the Sacramento County Shade Ordinance and shall be placed no greater than one tree every fourth stall throughout the parking field. So long as the project complies with the County Shade Ordinance, grassy water quality swales may be constructed in the parking lot in lieu of the 8’x16’ planter islands.
[DIAGRAM DELETED 12-04-2002]
- Shade trees are encouraged along pedestrian pathways that are located within parking lot areas to reduce heat build-up from large asphalt areas which facilitates a viable walking environment
- Fifteen (15) gallon minimum tree sizing should be utilized.
- Trees which make a statement or create an accent with color are encouraged to be incorporated at isle entries.
- Six foot minimum width landscape islands should be utilized at the end of parking rows.

- A coordinated mixture of shade trees, low growing shrubs and groundcover are suggested plant material which should reflect an overall landscape theme throughout the development area.
- Landscape berms are encouraged to screen vehicles in parking areas from pedestrian walkways and off-site views.
- Low decorative walls may also be utilized as freestanding elements or in conjunction with landscaping to screen parking areas.
C. Hardscape
Section titled “C. Hardscape”Hardscape elements should be used in coordination with architecture and landscaping to provide a link between the street edge and individual developments.
- Clock towers can be used for unique opportunities which help create an identity or character of the development area
- Flags are encouraged as another form of vertical element that incorporates color, texture and movement. They should be placed in areas that need special emphasis or areas that need a landmark statement.
- Fountains add an additional landscape texture that can create a comfortable and pleasing pedestrian environment. It can be used in plaza/courtyard areas for gathering around, for focal points from distant views within the site and for entry statements of buildings.
- Special paving is suggested for use in crosswalk areas. in raised walkway areas and in plaza, courtyard and covered walkway areas to help distinguish between pedestrian and vehicular systems.
D. Plant Palette
Section titled “D. Plant Palette”The following palette of plant materials is intended to provide ample opportunity to create an interesting, diverse landscape throughout the project. In selecting plant materials, strong consideration should be given to water requirements. Emphasis should be given to materials that require low water needs. Turf should be limited, with other vegetative ground covers used as a substitute.
Trees – Evergreen
Section titled “Trees – Evergreen”| Botanical Name | Common Name |
|---|---|
| Cedrus sp. | Cedrus Species |
| Fraxinus uhdei | Evergreen Ash |
| Magnolia grandiflora | Southern Magnolia |
| Geijera parviflora | Australian Willow |
| Pinus eldarica | Eldarica Pine |
| Sequoia sempervirens | Coast Redwood |
| Schinus terebinthifolius | Brazilian Pepper |
Deciduous Trees
Section titled “Deciduous Trees”| Botanical Name | Common Name |
|---|---|
| Alnus cordata | Italian Alder |
| Cercis canadensis | Eastern Redbud |
| Cercis occidentalis | Western Redbud |
| Alnus rhombifolia | White Alder |
| Celtis occidentalis | Common Hackberry |
| Lagerstroemia indica | Crape Myrtle |
| Prunus spp. | Flowering Plums |
| Liquidambar styraciflua | Sweet Gum |
| Fraxinus spp. | Ash |
| Ginkgo biloba | Ginko |
| Liriodendron tulipifera | Tulip Tree |
| Pistacia chinensis | Chinese Pistache |
| Platanus acerifolia | London Plane Tree |
| Pyrus calleryana | Flowering Pear |
| Quercus rubra | Red Oak |
| Sapium sebiferum | Chinese Tallow Tree |
| Robinia ambigua ‘Idahoensis’ | Idaho Locust |
Shrubs
Section titled “Shrubs”| Botanical Name | Common Name |
|---|---|
| Abelia grandiflora ‘Edward Goucher’ | Edward Goucher Abelia |
| Arctostaphylos | Manzanita |
| Callistemon | Bottlebrush |
| Camellia sp. | Camellia |
| Cocculus laurifolius | Snailseed |
| Cotoneaster sp. | Cotoneaster |
| Feijoa sellowiana | Pineapple Guava |
| Nandina domestica | Heavenly Bamboo |
| Nandina domestica ‘Nana Compacta’ | Compact Heavenly Bamboo |
| Nerium oleander | Oleander |
| Osmanthus fragrans | Sweet Olive |
| Photinia fraseri | Photinia |
| Pittosporum tobira | Tobira |
| Pittosporum tobira ‘Wheeler’s Dwarf’ | Wheeler’s Dwarf Tobira |
| Podocarpus macrophyllus | Yew Pine |
| Phormium tenax | New Zealand Flax |
| Raphiolepis indica | Indian Hawthorn |
| Xylosma congestum ‘Compacta’ | Compact Xylosma |
Sub Shrubs
Section titled “Sub Shrubs”| Botanical Name | Common Name |
|---|---|
| Agapanthus africanus | Lily of the Nile |
| Arctostaphylos sp. | Manzanita |
| Ceanothus sp. | California Lilac |
| Clivia miniata | Clivia |
| Hemerocallis sp. | Day Lily |
| Juniperus sp. | Juniper |
| Liriope sp. | Liriope |
| Lonicera japonica ‘Halliana’ | Hall’s Honeysuckle |
| Moraea bicolor | Fortnight Lily |
| Trachelospermum jasminoides | Star Jasmine |
| Botanical Name | Common Name |
|---|---|
| Cissus antarctica | Kangaroo Treevine |
| Clytostoma callistegioides | Violet Trumpet Vine |
| Macfadyena unguis-cati | Cat’s Claw Vine |
| Ficus pumila | Creeping Fig |
| Gelsemium sempervirens | Carolina Jasmine |
| Jasminum mesnyi | Primrose Jasmine |
| Jasminum polyanthum | Pink Jasmine |
| Lonicera japonica | Japanese Honeysuckle |
| Wisteria floribunda | Japanese Wisteria |
| Rosa banksiae | Lady Banks Rose |
Groundcovers
Section titled “Groundcovers”| Botanical Name | Common Name |
|---|---|
| Arctostaphylos ‘Pacific Mist’ | Manzanita |
| Baccharis pilularis ‘Twin Peaks’ | Coyote Bush |
| Duchesnea indica | Indian Mock Strawberry |
| Euonymus fortunei | Winter Creeper |
| Gazania sp. | Gazania |
| Hedera helix | English Ivy |
| Hypericum calycinum | Aaron’s Beard |
| Juniperus sp. | Juniper |
| Lantana montevidensis | Trailing Lantana |
| Lonicera japonica ‘Halliana’ | Honeysuckle |
| Oenothera berlandieri | Mexican Evening Primrose |
| Potentilla sp. | Cinquefoil |
| Rosmarinus officinalis | Rosemary |
| Trachelospermum jasminoides | Star Jasmine |
| Verbena sp. | Verbena |
E. Irrigation
Section titled “E. Irrigation”The use of water conserving irrigation systems is highly encouraged to provide efficient watering for plant needs while reducing the amount of waste.
- Drip irrigation should be used for all trees, shrubs and ground covers (excluding turf).
- When spray systems are needed, low gallonage/low flow precipitation spray heads should be used.
- All landscaped areas should be irrigated with an automatically controlled underground irrigation system.
V. Signage and Lighting
Section titled “V. Signage and Lighting”A signing and lighting program is encouraged to create uniformity for the project. The following guidelines should apply to that program.
A. Consistent Theme
Section titled “A. Consistent Theme”In the design of signage and lighting for the project, careful consideration should be given tot he project architectural theme. A consistent theme will provide a sense of identity for the overall project.
- Lighting and signage materials should be compatible with architectural style and materials used on surrounding buildings.
- Lighting and signage should incorporate a contemporary theme or a theme that is compatible with the architectural style.
- Lighting for open and covered pedestrian walkways should be provided for a safer environment at nighttime.
- Lighting should maintain a soft and appealing quality not a harsh and extremely bright glare.
- Sidewalk level lighting may be used when integrated with walls or bollards of acceptable design. Lamp elements should not become and important sculptural element on the landscape. They should be uniform and unobtrusive.
- Signage scale is encouraged to be kept at a pedestrian level in those areas where pedestrian traffic is encouraged.
- Larger building signage is encouraged for those areas where vehicular traffic is more predominant.
B. Location
Section titled “B. Location”The location of signage and lighting is important from a safety and informational standpoint. The following guidelines respond to this consideration.
- Suspended signs may be utilized by individual tenants in multi-tenant commercial areas underneath pedestrian arcades or covered walkways
- Window signage should be kept at a minimum unless it blends in with the architectural theme of the development and is professionally screened and permanent.
- Signage should be consistent with the architectural style of the buildings
- One large multi-tenant sign limited in height and size is encouraged for use along a major arterial. Smaller single-tenant monument signs will be allowed for pad buildings along Antelope Road.
- Smaller multi-tenant signs should be located in plazas or along walkways that lead to multi-tenant buildings
- Ground level lighting sources should be concealed by landscape planting or flush with grade.
- Signage should be designed to be in proportion to the building and should easily identify the retail tenant(s).