Loma Vista SPA
Sacramento County Zoning Code
Loma Vista Special Planning Area Ordinance
Section titled “Sacramento County Zoning Code Loma Vista Special Planning Area Ordinance”Adopted November 6, 1980
Amended December 8, 2004
80-SPA-3
Adopted by ZMA #4089 (1980 Arden Arcade Consistency Rezone)
Amended by 1999-ZOB-UPB-PAP-0017
503-30. INTENT.
Section titled “503-30. INTENT.”It is the intent of the Board of Supervisors in adopting this Special Planning Area Ordinance to allow development on the property described in Section 503-36 which will protect residents east of Loma Vista Avenue from traffic, noise, and aesthetic effects of commercial uses in a residential area, and to ensure compatibility of design with the existing residential development.
503-31. PERMITTED USES.
Section titled “503-31. PERMITTED USES.”The uses and the areas where they are permitted are set forth below in Sections 503-37 through 503-39 of this ordinance and in Appendix A as applicable only to 503-39. In the event of a conflict between the provisions of this ordinance and the Sacramento County Zoning Code, the provisions of this ordinance shall prevail.
(a) RESIDENTIAL AND INSTITUTIONAL AREA
Section titled “(a) RESIDENTIAL AND INSTITUTIONAL AREA”-
The following uses are permitted on the property shown on 503-37 in the cross-hatched areas.
- Single Family Dwellings
- Attached manor homes. A Manor Home is a residential structure of two or three attached units wherein each of the units may be individually owned
- Accessory structures per the Zoning Code
- Home Occupations per the Zoning Code
-
The following additional uses are permitted on the property shown on Section 503-37 in the cross-hatched areas upon the issuance of a use permit by the Planning Commission.
- Residential care homes for more than 6 children or adults
- Child day care centers for more than 6 children
- Adult Day Health Center
- Convalescent Hospital
- Skilled Nursing or Intermediate Care Facility
- Congregate Care Facility
- Assisted Living Facility
- Alzheimer Care Facilities
- Park
(b) SOUTHERN RESIDENTIAL AREA, INSTITUTIONAL OR OFFICE
Section titled “(b) SOUTHERN RESIDENTIAL AREA, INSTITUTIONAL OR OFFICE”-
Those uses listed in Table II of the Sacramento County Zoning Code, Section 225-11, as permitted in the Business and Professional zoning district, shall be permitted on the property shown on Section 503-38 in the cross-hatched area, subject to the conditions specified in said tables and provided in Section 225-14 of the Zoning Code, unless otherwise specifically provided for in this ordinance.
- Drive-up windows and/or remote teller facilities shall not be permitted
-
The following institutional uses are permitted on the property shown on Section 503-38 in the cross-hatched area:
- Residential care homes for more than 6 children or adults
- Child day care centers for more than 6 children
- Adult Day Health Center
- Convalescent Hospital
- Skilled Nursing or Intermediate Care Facility
- Congregate Care Facility
- Assisted Living Facility
- Alzheimer Care Facilities
- Park
-
The following uses are permitted on the property shown on Section 503-38 in the cross-hatched area:
- Single Family Dwellings
- Attached manor homes. A Manor Home is a residential structure of two or three attached units wherein each of the units may be individually owned
- Accessory structures per the Zoning Code
- Home Occupations per the Zoning Code
-
It may be desirable to increase the amount of parking in the commercial property of APN 279-081-001 to alleviate parking issues along Loma Vista Drive. Therefore, future zoning boundaries shall be interpreted consistent with any approved and recorded boundary line adjustments up to a 20-foot limit to the east or west of the current boundary line. A condition of approval of any boundary line adjustment in excess of 15 feet on APN 279- 0081-001 shall require the owner to install irrigated street trees along the adjusted line a minimum of 35 feet on center. Nothing contained herein shall require the affected property owners to make a lot line adjustment or confer any rights to the adjustment.
(c) FULTON AVENUE COMMERCIAL AREA
Section titled “(c) FULTON AVENUE COMMERCIAL AREA”- The areas outlined in Section 503-39 in the cross-hatched area are, on the date of the adoption of this ordinance, developed with commercial automobile uses. It is important to the Fulton Avenue area that these properties have the maximum flexibility to develop, redevelop and be used as commercial uses. Therefore, the commercial uses identified in Appendix A of this ordinance shall be permitted.
- In addition, to further promote the commercial use of the property, those uses permitted in Table II of the Sacramento County Zoning Code, Section 225-11, as permitted in the LC (Limited Commercial) zone, BP (Business and Profession) zone, SC (Shopping Center) zone, and AC (Auto Commercial) zone, but not otherwise listed in Appendix A may be permitted upon issuance of a conditional use permit from the Board of Supervisors.
- It is recognized that there are existing commercial buildings and other improvements such as above ground utility lines that may make the installation of landscaping along the eastern property line shown in 503-39 problematic. Therefore, future zoning boundaries shall be interpreted consistent with any approved and recorded boundary line adjustments up to a 10-foot limit to the east or west of the current boundary line.
503-32. DEVELOPMENT STANDARDS
Section titled “503-32. DEVELOPMENT STANDARDS”- For any residential uses within the SPA the following standards shall apply. For the property shown in the cross-hatched portion of 503-37 no more than 25 residential units shall be allowed. At this date no suggested plans for residential development of the cross-hatched portion of 503-38 have been presented and therefore the maximum number of residential units cannot be specified.
-
Single Family Detached:
Single Family Detached Standard Requirement Lot Area: 4,500 square feet minimum. Lot Width: 45 feet minimum. Front Yard Setback: 20 feet minimum. 15 feet for porches. Rear Yard Setback: 20 feet minimum or 20% of lot depth. Side Yard (Interior): 5 feet minimum. Street Side Yard: 12.5 feet minimum. Heights: 2 stories or 30 feet maximum. -
Attached Manor Homes:
Attached Manor Home Standard Requirement Minimum Lot Area: 2,500 square feet. Minimum Lot Width: 25 feet. Front Yard Setback: Driveway- 4.5 ft. with roll up doors or greater than 20 feet. Building -15 feet. Side Yard Setback: 5 feet to exterior property lines. 0 feet to interior property lines (interior units). Street Side Yard Setback: 12.5 feet. Rear Yard Setbacks: 10 feet minimum. Height: 2 stories or 30 feet maximum. Setbacks between buildings: 20 feet. Building Coverage: Buildings, roofed areas, and parking facilities shall not cover more than 75% of the site.
Residential Standard Requirement Parking: Two-car garage, each space 9’ x 19’ mm. Guest parking shall be located no closer than 2 feet to the dwelling unit, and the area between the dwelling unit and guest parking shall be landscaped and 10 feet from any public street. Access Drives: Sixteen feet minimum width with no parking allowed. Access drives should not be located closer than 10 feet to a habitable portion of a dwelling unit or 3 feet from fences, patios or trellis. Trash and Recycle All trash and recycle containers and containers and enclosures: Enclosures shall be located within an enclosed masonry area with a surrounding wall at least 6-feet high and no higher than 8-feet with an appropriate solid gate. The enclosures shall be screened from public view along Loma Vista Drive and set back a minimum of 20 feet from the public street. The enclosures shall be consistent with the architecture of the project. Adequate access for pick-up shall be provided. Air Conditioning and All mechanical equipment shall be Mechanical Equipment: Located a minimum of 20-feet from Loma Vista Drive and screened from public view with a solid fence. Lighting: Security lighting shall be designed to screen the source of light from adjacent residential neighbors and prevent glare towards adjacent residential neighbors. Architectural standards: High quality elements shall be included in the design, such as window treatments, porches, façade enhancements, varied roof heights, and high quality materials, - Landscaping along Loma Vista Drive shall be consistent with the appearance of the street and shall consist of lawn, shrubs and shade trees (approved by the Landscape Division of the Transportation Department), placed so as to cover a minimum of 50 percent of the total front yard area with tree canopies within 12 years of securing a building permit. Groundcover, shrubs, earth mounding, low landscaping walls or other landscaping features designed to complement the site plan, shall not be prohibited.
- If not otherwise provided by adjacent development, any approved residential uses shall be required to construct an 8- foot solid masonry wall made of brick, concrete, textured concrete, concrete blocks or stucco on the western boundary of the residential area to provide a buffer from commercial activities (building permit may be required). Where applicable, said wall shall be finished with graffiti resistant coating or to be constructed with an anti-graffiti design approved by the County Sheriff’s Department.
- Nothing contained herein shall preclude or mandate the use of a private alley(s) and the use of private alleys may be considered in lieu of or part of the rear or side yard setbacks.
-
- Planning Staff development plan review shall be required for any attached manor home units to insure that they comply with the standards contained in this ordinance which supersede Zoning Code standards. Any decision of the Planning staff regarding development review shall be appeasable to the appropriate authority (Project Planning Commission or equivalent).
- Within the cross-hatched area described in Section 503-38, non-residential development shall be subject to the standards set forth in Sections 225-10 through 225-14 and 315-40 through 315-51 of the Zoning Code, unless specified below. It is the intent of these standards to insure the compatibility of design and use of any office building with the residential character of the street. The creation of these standards shall not prohibit the development of the properties affected but shall promote certainty for the property owner and the residents alike.
- No commercial or office structure may exceed one story in height.
- The property has a 25-foot front yard setback. New non-residential buildings should be constructed as close as feasible to that front yard setback, however deviations behind the setback are allowed for architectural enhancement and building entrances. All parking should locate in back of the structures to the extent possible.
- The minimum parking ratio shall be 5.5 parking spaces per 1,000 square feet of useable square footage of building.
- No more than two driveways entering Loma Vista Drive are permitted for the entire site described as the cross-hatched area in Section 503-38 for any non-residential use. To the extent possible, a northerly driveway shall line up with El Prado and a southerly driveway shall be adjacent to and aligned parallel to the wall on its eastern side. Residential development in Section 503-38 shall be entitled to the number of driveways typical of similar developments.
- No on-street parking shall be allowed for any commercial development and the developer shall paint the curbs red and install no parking signs.
- All signage shall comply with Sacramento County Codes.
- An eight (8) foot solid wall of brick, concrete, textured concrete, concrete blocks or stucco shall be constructed along the western property line with six feet of landscaping along the easterly side developed with ground covers, shrubs and trees for any commercial development. At least 25% of the vertical wall space shall be covered, shaded and/or prevented from direct view, when in full leaf, by the plantings made.
- To ensure a quality development and architectural harmony with the surrounding area, any office building development shall, to the extent permitted by building codes, incorporate in its design high quality materials such as brick, wood sidings and pitched roofs.
- Within the cross-hatched area shown in Section 503-39, development shall be subject to the standards set forth in 225-10 through 225-14 and 315-40 through 315-51 of the Zoning Code, unless specified below:
- All exterior lights shall be oriented toward Fulton Avenue and shall be constructed to be ‘nonpolluting’, as low in height as practical, and directed inward to the property so that they are compatible with the residential nature of the properties to the East.
- No exterior loudspeaker systems shall be permitted.
- A 6-foot landscaping strip with street trees shall be installed along the Fulton Avenue frontage prior to issuance of any occupancy permit or new business license.
- If not otherwise provided by adjacent development, on the Fulton Avenue Commercial Area construct an 8-foot solid masonry, textured concrete, or stucco wall. A 6-foot strip of landscaping trees, ground covers and shrubs, shall be planted on the west (the commercial) side of the wall, including irrigation, to buffer any existing or future residential or institutional uses from commercial activities shall be constructed. Trees shall be no less a 20-foot on center and total vertical wall coverage shall be in the order of 20% when fully leafed out. Where applicable, the wall shall be finished with an anti-graffiti design approved by the County Sheriff’s Department. (Walls over 6 feet in height are required to have a building permit for new construction).
- No office/apartment/condo/mixed-use buildings exceeding six stories shall be permitted without issuance of a use permit from the appropriate authority and compliance with all the applicable parking, setback and other similar property development conditions.
503-34. VIOLATIONS.
Section titled “503-34. VIOLATIONS.”Violations of the provisions of this ordinance or exhibits made part of this Ordinance shall be deemed a violation of Sacramento County Zoning Code Ordinance No. 77-110, as amended.
503-35. FINDINGS.
Section titled “503-35. FINDINGS.”During the public hearings on this ordinance, the Planning Commission and the Board of Supervisors found that:
- The areas described in Sections 503-36 through 503-39 are suitable for the specified uses and deserving of special consideration due to its proximity to both residential and commercial uses, and the existing development on and adjacent to the site.
- Special development requirements not found in any other land use zone are required to mitigate the effects of the traffic and related nuisances while at the same time, govern design of a project so that it will not create additional impacts on adjacent property.
- The area within the Special Planning Area, 12+ acres, is of adequate size for development of a project pursuant to the terms of this ordinance.
- The uses permitted by this ordinance provide for a reasonable use of the land and will not cause undue hardship on property owners within the area described in Section 503-36, both cross-hatched and uncross-hatched.
- The unusual features and location of this site can best be protected by the special standards of an SPA.
APPENDIX A
Section titled “APPENDIX A”The following are permitted uses on Auto Commercial lots (cross-hatched portions of 503-39.
| Use Code | Use Classification |
|---|---|
| A. | AUTOMOTIVE SALES, SERVICE, REPAIR |
| A.1. | Auto Sales, New and Used |
| A.2. | Auto Rental or Lease Agency, including limousine service |
| A.3. | Auto Wholesaler, Office Only (No On-site Storage of Vehicles) |
| A.4. | Auto, Minor Service-Repair-Replacement |
| A.4.a. | Automatic Transmission |
| A.4.b. | Auto Tire, Sales-service |
| A.4.c. | Auto Seat Covers, Reupholstery Shop |
| A.4.d. | Auto Battery and Ignition |
| A.4.e. | Auto Radio, Stereo, CB |
| A.4.1. | Auto Radiator, Replacement-service |
| A.4.g. | Auto Muffle Replacement-service |
| A.4.h. | Auto Electric (Starter-gen) Replacement-service |
| A.4.i. | Auto Brake, Replacement-service |
| A.4.j. | Auto Minor Repair, Service, Adjustments |
| A.4.k. | Auto Trailer Hitch Installation |
| A.4.I. | Auto Diagnosis and Tune-up |
| A.4.m. | Auto Detailing (Servicing and Cleaning for Resale) |
| A.4.n. | Auto Glass Installation and Sales |
| A.4.o. | Auto Smog Inspection (No Repair) |
| A.5. | Auto, Major |
| A.5.a. | Auto Major Repair |
| A.5.b. | Auto Transmission Rebuild |
| A.5.c. | Auto Radiators Rebuild |
| A.5.d. | Starter-gen Rebuilding |
| A.5.e. | Auto body repair |
| A.5.f. | Auto paint shop |
| A.5.g. | Auto machine shop |
| A.6. | Auto Storage — Antique |
| A.7. | Auto Storage --- Indoor |
| A.8. | Auto Parts and Accessory Store |
| A.9. | Auto Wash, Self-Service or Automatic |
| A.10. | Camper Shell -Sales, Repair, Rent |
| A.11. | Motorcycle, Sports Cycles, Trail bikes, Jet Skis, Snowmobile, Ultra-Light, Moped-Sales, Rent, Service, Repair and Dismantling As described in 225- 14 Special Condition (4) Truck Sale, Lease, Rent or Repair (where repair is not the primary use) |
| A.12. | Utility Trailer -Rental, Service, Sales |
| A.13. | Utility Trailer or Truck, Rent or Storage as Ancillary to Permitted Uses |
| B. | BUSINESS SERVICES |
| B.1. | Addressing and Mailing Services |
| B.2. | Advertising Business |
| B.3. | Armored Car Service |
| B.4. | Blueprinting - Photostatting Service |
| B.5. | Computer Programming/Software and System Design |
| B.6. | Computer Sales, Rental and Lease |
| B.7. | Computer Service and Training |
| B.8. | Data Processing Service |
| B.9. | Delivery Service |
| B.10. | Drafting Service |
| B.11. | Equipment Rental Agency -Office Related Uses Only |
| B.12. | Furniture Rental Agency |
| B.13. | Janitorial Service |
| B.14. | Locksmith -Safe Repair Shop |
| B.15. | Locksmith -Key and Lock Shop |
| B.16. | Mail Order Business |
| B.17. | Office Machines and Equipment Sales and Minor Repair |
| B.18. | Photocopy Service |
| B.19. | Print Shop |
| B.20. | Remote Teller, Freestanding for Pedestrian Use |
| B.21. | Sign, On-site |
| B.22. | Stenographic Service |
| B.23. | Studio -Radio, Television, Recording |
| B.24. | Telegraph Office |
| B.25. | Telephone Answering Service |
| B.26. | Ticket Agency |
| C. | HEALTH SERVICES |
| C.1. | Acupuncture or Acupressure Office |
| C.2. | Adult Day Health Center |
| C.3. | Ambulance Service |
| C.4. | Clinic, Child-Family Guidance |
| C.5. | Clinic, Counseling |
| C.6. | Clinic, Diet Counseling with Incidental Sales of Diet Products |
| C.7. | Clinic, Kidney Dialysis |
| C.8. | Clinic, Physical Therapy |
| C.9. | Convalescent Hospital |
| C.10. | Eyeglasses, Frames, Contact Lens -Sales and Service |
| C.11. | Hearing Aids -Sales and Service |
| C.12. | Laboratory -Medical, Dental or Optical |
| C.13. | Laboratory -Research, Analysis |
| C.14. | Medical or Dental Office |
| C.15. | Psychiatric Facility |
| C.16. | Sanitarium |
| C.17. | Social Rehabilitation Center |
| C.18. | Orthopedic Appliances Sales/Service |
| D. | PERSONAL SERVICES |
| D.1. | Barber Shop |
| D.2. | Bath House -Sauna, Turkish, Steam, Spa and Tanning |
| D.3. | Beauty Shop |
| D.4. | Child Care Center |
| D.5. | Dressmaker |
| D.6. | Electrolysis |
| D.7. | Funeral Establishment |
| D.8. | Reducing-Body Building, Aerobics Studio |
| D.9. | Shoe Shine Parlor |
| D.10. | Studio- Dance, Voice, Music, Gymnastics |
| D.11. | Tailor |
| D.12. | Wedding Chapel, Reception Hall |
| D.13. | Wig Sales and Service |
| D.14. | Dating Service (Computerized Video Matching) |
| E. | MISCELLANEOUS SERVICES |
| E.1. | Blacksmith Shop |
| E.2. | Cold Storage -Frozen Food Locker |
| E.3. | Grooming Service, Such as Poodle Grooming |
| E.4. | Kennel, Cattery, Boarding/Training |
| E.5. | Laboratory, Materials Testing |
| E.6. | Laundry or Cleaning Agency, Retail (On-Site Cleaning Permitted) |
| E.7. | Laundry or Cleaning Pickup Station |
| E.8. | Parking Lot or Garage as primary use As described in 225-14 Special Condition (48) |
| E.9. | Photography Studio, Including Incidental Processing |
| E.10. | Picture Frame Shop |
| E.11. | Travel Agency |
| E.12. | Veterinarian -Animal Hospital |
| F. | REPAIR SERVICES |
| F.1. | Appliance Repair Shop |
| F.2. | Electronic Equipment Repair |
| F.3. | Shoe Repair Shop |
| F.4. | Television and Radio Repair Shop |
| G. | EATING/DRINKING/LODGING |
| G.1. | Apartment Hotel |
| G.2. | Bakery, Pastry Shop |
| G.3. | Catering Service |
| G.4. | Delicatessen |
| G.5. | Hotel |
| G.6. | Motel |
| G.7. | Restaurant-Coffee |
| G.8. | Soda Fountain-ice Cream Parlor |
| H. | ENTERTAINMENT/RECREATIONAL SERVICES |
| H.1. | Art Gallery |
| H.2. | Art Studio |
| H.3. | Coin-Operated Amusement Machine (as Defined in Section 130-43.5 of the Code, Incidental to a Permitted Use) |
| H.4. | Electronic, Mechanical or Video Games |
| H.5. | Library |
| H.6. | Live Theatre |
| H.7. | Motion Picture Theatre |
| H.8. | Museum |
| H.9. | Park |
| H.10. | Physical Fitness Studio |
| H.11. | Recreation Facility, Indoor As described in 225-14 Special Condition (37) |
| H.12. | Recreation Facility, Outdoor As described in 225-14 Special Condition (14) |
| I. | FOOD, DRUG, LIQUOR SALES |
| I.1. | Bakery |
| I.2. | Pastry Shop |
| I.3. | Butcher and Meat Market |
| I.4. | Candy Store |
| I.5. | Certified Farmers Market As described in 225-14 Special Condition (50) |
| I.6. | Coin-Operated Dispenser |
| I.7. | Convenience Store/Neighborhood Market (less than 6,000 square feet in size) As described in 225-14 Special Condition (45) |
| I.8. | Drive-in Dairy, Excluding Creamery |
| I.9. | Drive-in Food Market or Stand |
| I.10. | Drug Store - Nonprescriptive Drugs and Sundries |
| I.11. | Prescription Pharmacy |
| I.12. | Supermarket -Food Store |
| J. | GENERAL MERCHANDISE SALES |
| J.1. | Book-Record Store |
| J.2. | Building Material Sale and Related Storage as described in 224-14 Special Conditions (1) |
| J.3. | Clothing and Apparel Store |
| J.4. | Costume Shop -Sale and Rent |
| J.5. | Curio -Novelty Shop |
| J.6. | Electronic Equipment Store |
| J.7. | Florist |
| J.8. | Garage Equipment and Tool Sales |
| J.9. | General Retail or Department Store |
| J.10. | Gift-Card Shop |
| J.11. | Gunshop-Gunsmith |
| J.12. | Hardware Store |
| J.13. | Hotel-Restaurant Equipment Sales |
| J.14. | Jewelry Store -Sales, Repair |
| J.15. | Lapidary Shop |
| J.16. | Military Surplus Shop |
| J.17. | Music Store, Including Instrument Repair |
| J.18. | Newspaper-Magazine Stand |
| J.19. | Office Machines and Equipment Sales and Minor Repair |
| J.20. | Pawn shop |
| J.21. | Pet Store, No Kennel |
| J.22. | Photographic Supply- Camera Store |
| J.23. | Pool Table Sale and Repair Service |
| J.24. | Power Tools -Sales, Repair |
| J.25. | Shoe Store |
| J.26. | Stamp-Coin Store |
| J.27. | Stationery Store |
| J.28. | Television and Radio Sales |
| J.29. | Tobacco Shop |
| J.30. | Toy Store |
| J.31. | Trophy-Emblem Store |
| J.32. | Video Store, Sales and Rental |
| J.33. | Watches -Sales, Repair |
| K. | HOME ACCESSORIES AND SERVICES |
| K.1. | Antique Store |
| K.2. | Appliance Store |
| K.3. | Floor Covering, Drapery or Upholstery Store |
| K.4. | Furniture Cleaning, Refinishing, Reuphoistery Shop |
| K.5. | Furniture Store |
| K.6. | Gardening-Landscaping Supply Store |
| K.7. | Paint and Wallpaper Store |
| K.8. | General Glass Sales, Services |
| L. | RECREATION EQUIPMENT SALES |
| L.1. | Athletic Equipment and Sporting Goods Store |
| L.2. | Bicycle Sale, Rent, Service |
| L.3. | Boat Parts and Accessories Store |
| L.4. | Boat Sale, Rent, Service As described in 225-14 Special Condition (14) |
| L.5. | Camper Shell -Sales, Repair, Rent |
| L.6. | Hang Glider -Sales and Service As described in 225-14 Special Condition (4) |
| L.7. | Marine Supply Store |
| L.8. | Motorcycle, Sports Cycles, Trail Bikes, Jet Skis, Snowmobile, Ultra-light, Moped- Sales, Rent, Service, Repair and Dismantling As described in 225-14 Special Condition (4) |
| L.9. | Saddlery Shop |
| L.10. | Tackle Shop |
| L.11. | Travel Trailer-Mobilehome, Motorhome, Camper-Sales or Rent. Storage as a primary use shall require with condition as described in 225-14 Special Condition (14) |
| L.12. | Water Recreation Equipment-Rental, Sales |
| M. | MANUFACTURING/PROCESSING |
| M.1. | Assembly -light Manufacturing |
| M.2. | Machine Shop As described In 225-14 Special Condition (10) |
| N. | MEMBERSHIP ORGANIZATIONS |
| N.1. | Church |
| N.2. | Citizens Improvement Club -Community Center |
| N.3. | Labor Union Temple |
| N.4. | Lodge-Fraternal Hall |
| O. | OFFICES |
| O.1. | Accountants, Bookkeepers Office |
| O.2. | Bank, Savings and Loan, Finance, Loan, Credit Office As described in 225-14 Special Condition (36) |
| O.3. | Building Trades Contractors Office |
| O.4. | Business or Professional Office |
| O.5. | Collection, Counseling, Personnel Office |
| O.6. | Insurance Office |
| O.7. | Interior Decorator Office |
| O.8. | Medical or Dental Office |
| O.9. | Public Relations or Advertising Office |
| O.10. | Real Estate Office |
| P. | RESIDENTIAL |
| P.1. | Apartment-Multiple Family Dwelling, Condominium |
| P.2. | Home Occupation |
| P.3. | Residence of a Caretaker, Proprietor or Owner of a Permitted Use |
| P.4. | Residential Care Homes for Adults or Children |
| P.5. | Residential Uses, Other |
| P.6. | Travel Trailer-Mobilehome, Camper, Motorhome-Repair or Service |
| P.7. | Social Rehabilitation Center |
| P.8. | Congregate Care Facilities |
| Q. | SCHOOLS |
| Q.1. | Business School |
| Q.2. | Charm, Culture School |
| Q.3. | College and University as described in 225-14 Special Condition (14) |
| Q.4. | Driving School |
| Q.5. | Other Private School As described in 225-14 Special Condition (14) |
| Q.6. | Private K-12 School As described in 225-14 Special Condition (14) |
| Q.7. | Public K-12 School As described in 225-14 Special Condition (14) |
| Q.8. | Self-Defense, Judo, Boxing, Gymnastics, Swimming or Similar Activities |
| Q.9. | Trade School |
| Q.10. | Vocational School |
| R. | TRANSPORTATION FACILITIES AND SERVICES |
| R.1. | Baggage Transfer Service |
| R.2. | Parking Lot/Garage As described in 225-14 Special Condition (48) |
| R.3. | Taxi Cab Service and Storage Facility |
PERMITTED USES IN YARDS AND OPEN SPACES OF COMMERCIAL LOTS WHEN A PERMITTED USE IS ALREADY ESTABLISHED ON THE SAME LOT
Section titled “PERMITTED USES IN YARDS AND OPEN SPACES OF COMMERCIAL LOTS WHEN A PERMITTED USE IS ALREADY ESTABLISHED ON THE SAME LOT”Use, Service or Facility:
All items as listed and with conditions in Table III (Page II-72).
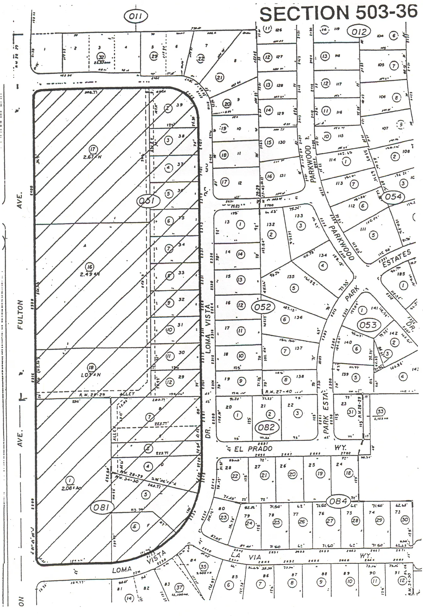
503-36.
Section titled “503-36.”
503-37.
Section titled “503-37.”
503-38.
Section titled “503-38.”
503-39.
Section titled “503-39.”