Folsom Boulevard SPA
Sacramento County Zoning Code
Folsom Boulevard Special Planning Area Ordinance
Section titled “Sacramento County Zoning Code Folsom Boulevard Special Planning Area Ordinance”Adopted July 12, 1978
78-SPA-16
Adopted by ZMA #3888 (1978 Rancho Cordova Consistency Rezone)
501-160. INTENT.
Section titled “501-160. INTENT.”It is the intent of the Board of Supervisors in adopting this Special Planning Area Ordinance to allow development on the property described in Section 501-165, which buffer adjacent residential uses from the commercial and residential uses permitted herein and providing for the reduction in the number of potential conflict points (driveways) and thereby reducing the potential for higher accident rates, while recognizing the need to accommodate development on this irregularly shaped area along a major thoroughfare and provide for a visual openness along this portion of Folsom Boulevard.
501-161. REVIEW BY APPROPRIATE AUTHORITY.
Section titled “501-161. REVIEW BY APPROPRIATE AUTHORITY.”Development may not take place on any property within the area described in Section 501-165, except that it conforms to the development criteria established below and said conformance is verified by the Planning Director. Any decision of the Planning Director may be appealed to the Board of Zoning Appeals.
501-162. PERMITTED USES.
Section titled “501-162. PERMITTED USES.”- Those uses permitted in the LC (Limited Commercial) land use zone, Table II, Section 225-11, as provided in Section 225-14 of the Zoning Code, and permitted in the Special Planning Area. Any change of commercial use which results in new construction or change of signing on these two parcels is subject to approval of a Special Permit, as outlined in this Ordinance. Residential uses permitted in the RD-20 land use zone, Table I, Section 201-02, as provided in Section 201-04 of the Zoning Code, are permitted in this Special Planning Area.
- No bank or other financial institution and no restaurant or fast food outlet shall be designed with provisions for automobile oriented teller or cashier services, except that a single drive service window for financial institutions shall be permitted, subject to the issuance of a use permit by the Project Planning Commission.
501-163. DEVELOPMENT AND PERFORMANCE STANDARDS.
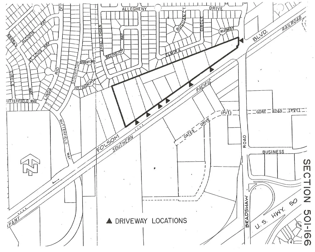
Section titled “501-163. DEVELOPMENT AND PERFORMANCE STANDARDS.”a. Access to Folsom Boulevard.
Section titled “a. Access to Folsom Boulevard.”Access is to be limited to those points indicated on Section 501-166. Curb cuts shall be a minimum 35 feet wide.
b. Landscaping.
Section titled “b. Landscaping.”- A ten (10) foot live landscaping buffer with trees shall be required along the northerly boundary of parcels within the area described in Section 501-165.
- A 15 foot landscaping area, exclusive of driveways, shall be required for the Folsom Boulevard (southerly) boundary of the Special Planning Area, excepting Assessor's Parcels 075-040-14 and 20 shall provide a landscaping area of 15 feet, or ten percent of the lot depth, whichever is the lesser requirement.
c. Signing.
Section titled “c. Signing.”- Signing for commercial, business and professional and residential uses shall be flat against the building and shall not project above the roof line of said building, except that one directory pole sign may be provided identifying tenants of a commercial complex. The total area and dimensions of all signs shall be in accordance with standards established in the LC (Limited Commercial) land use zone. Individual pole signs, other than directory pole signs, shall not be permitted.
d. Design.
Section titled “d. Design.”- Buildings shall not exceed two stories in height.
- There shall be a minimum 25 foot setback between any use and the single family development to the north.
- There shall be a minimum 50 foot setback for two story uses in this area, from any single family zone to the north.
- Parking shall be provided as required in Title III, Chapter 30, of the Zoning Code.
- Although projects may be considered on an individual basis, the design of individual developments shall be compatible with adjoining developments to ensure that each project relates to the others. For purposes of this section, design elements of particular concern include circulation between developments, and the location of buildings, parking, and landscaping and shall not include the architectural design of structures.
- Buildings shall be set back a minimum 25 feet from public rights-of-way.
501-164. FINDINGS.
Section titled “501-164. FINDINGS.”In adopting this Ordinance, the Board of Supervisors finds:
- That the area described in Section 501-165 is comprised of small parcels with a triangular shape in total, that the parcels are fronted by a very congested thoroughfare (Folsom Boulevard), and that the parcels are bounded by developed single family residential use to the north which require buffering from the thoroughfares and uses which are anticipated for the subject site.
- That these special features cannot be adequately protected through the adoption of any other land use zone and its related development standards.
- That the size of this Special Planning Area is sufficient to allow construction of several commercial and residential projects and that this construction will not constitute the granting of a special privilege, nor deprivation, of property rights.
- That the uses permitted by this Ordinance will provide for a reasonable use of the land and will not cause undue hardship on property owners of the site.
501-165.
Section titled “501-165.”